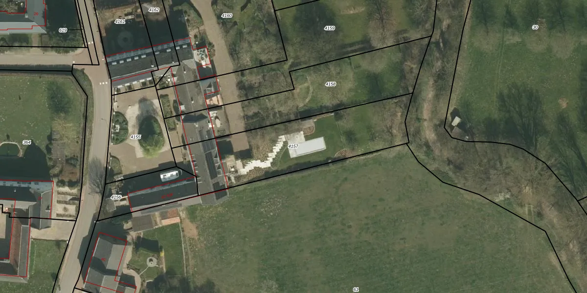
Perceel: CDR00-A-4157
KadastraleKaart.com kan meer dan je denktOntdek meer ›
Filter op bestemming 50+ datasets Eigendomsdata in één klik Percelen CRM
1.380 m2 - 196 m
Eigenaar opvragen
CDR00-A-4157 (Cadier en Keer)
- 6268 NP
DlLDXO7aGdZDIi5IZ2mUpgrade naar KadastraleKaart Pro
Verkoopprijs opvragen
Bekijk op Street View
Download DWG/DXF/Excel
L8mD6WA6KUhv93ikC v Upgrade naar KadastraleKaart Pro
uaciACRWt9IJ Upgrade naar KadastraleKaart Pro
Rz42g6kGU0afE2Upgrade naar KadastraleKaart Pro
36zmKNmzw jjYUpgrade naar KadastraleKaart Pro
ScAhwtItLgmLUpgrade naar KadastraleKaart Pro
DL7 Xhf0F6RK5wf7AoNvHUpgrade naar KadastraleKaart Pro
S6WdtJ Rf ev9Upgrade naar KadastraleKaart Pro
upcGz6iV jDqbhld B dsUpgrade naar KadastraleKaart Pro
lx6yNOG5YgeM7hx5qHCvqUpgrade naar KadastraleKaart Pro
XeVg8No2GwQk1AW6PiUpgrade naar KadastraleKaart Pro
25/08/2008

Percelen
Gebruik de zoekbalk of klik op een perceel om informatie over het perceel te bekijken.