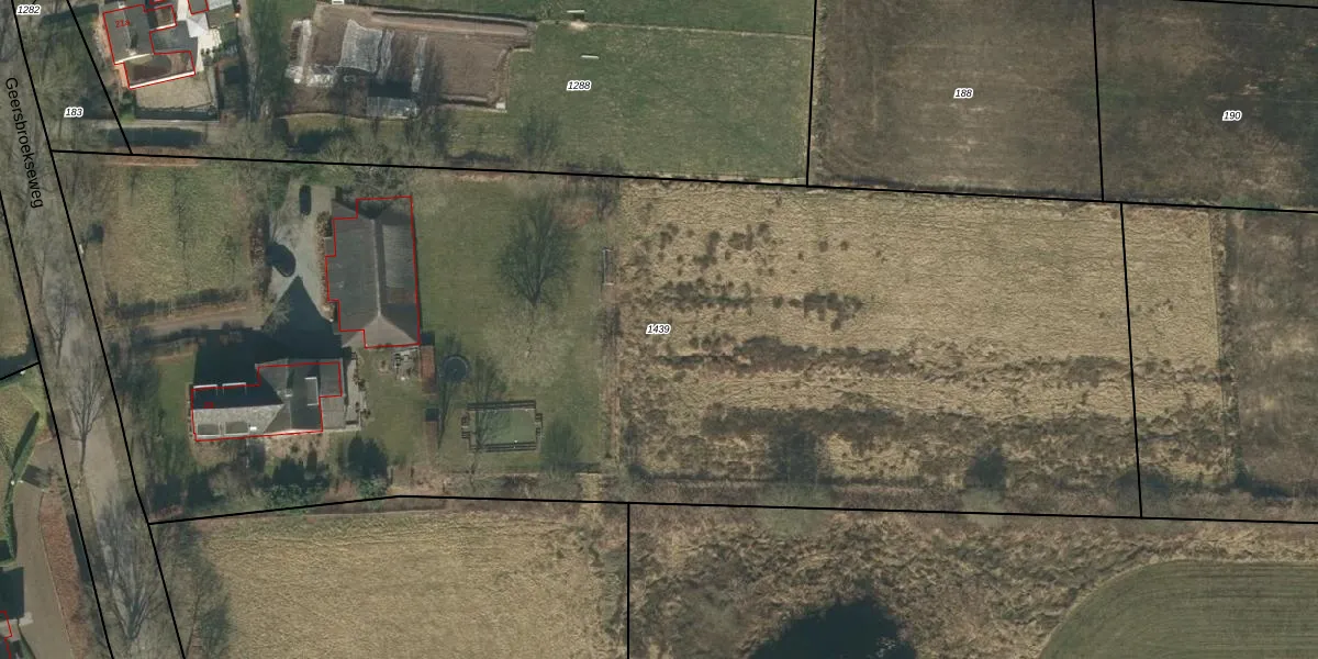
Perceel: CHA00-G-1439
KadastraleKaart.com kan meer dan je denktOntdek meer ›
Filter op bestemming 50+ datasets Eigendomsdata in één klik Percelen CRM
7.960 m2 - 420 m
Eigenaar opvragen
CHA00-G-1439 (Chaam)
- 4858 RE
jAyeajxayJWNTSpbA WUpgrade naar KadastraleKaart Pro
Verkoopprijs opvragen
Bekijk op Street View
Download DWG/DXF/Excel
NJXjMnQSoUpgrade naar KadastraleKaart Pro
MyJB2Le3Mc GUpgrade naar KadastraleKaart Pro
BM LB qTiPcYDjLlUpgrade naar KadastraleKaart Pro
7POcNwLunVqDOUpgrade naar KadastraleKaart Pro
GiRGsMiVfYLTwZk2D5Kp4QUpgrade naar KadastraleKaart Pro
TCOnF2VQ2GlcyVYxI EkUpgrade naar KadastraleKaart Pro
Kd fXcbUddIEuEUKwJNoUpgrade naar KadastraleKaart Pro
MF00tcUYIUpgrade naar KadastraleKaart Pro
QbC2PtibKogJzDxh 9 4Upgrade naar KadastraleKaart Pro
B1fy myKI6gnvBm8ZsBEUpgrade naar KadastraleKaart Pro
23/10/2019

Percelen
Gebruik de zoekbalk of klik op een perceel om informatie over het perceel te bekijken.