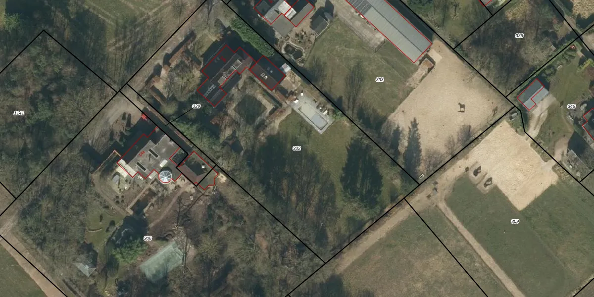
Perceel: CHA00-G-332
KadastraleKaart.com kan meer dan je denktOntdek meer ›
Filter op bestemming 50+ datasets Eigendomsdata in één klik Percelen CRM
3.880 m2 - 269 m
Eigenaar opvragen
CHA00-G-332 (Chaam)
- 4858 RH
HzJJihcYwWnc0atj AnPCCtnUpgrade naar KadastraleKaart Pro
Verkoopprijs opvragen
Bekijk op Street View
Download DWG/DXF/Excel
NIKMYkrMWk7fYBrUpgrade naar KadastraleKaart Pro
C2zG1Sr0eOi s5Upgrade naar KadastraleKaart Pro
GryFtd7sy 6Upgrade naar KadastraleKaart Pro
t2lS2i5bvTvK lrF4ahI0kUpgrade naar KadastraleKaart Pro
RfWcpPWlbdiUpgrade naar KadastraleKaart Pro
XVdDKFMf Upgrade naar KadastraleKaart Pro
vnl 9uqqoV Upgrade naar KadastraleKaart Pro
MX R5SwOtT7iM3mUa5Upgrade naar KadastraleKaart Pro
iosJDbBVXJpUpgrade naar KadastraleKaart Pro
OvNZ2ZMh9bq2aIUpgrade naar KadastraleKaart Pro
23/04/2019

Percelen
Gebruik de zoekbalk of klik op een perceel om informatie over het perceel te bekijken.