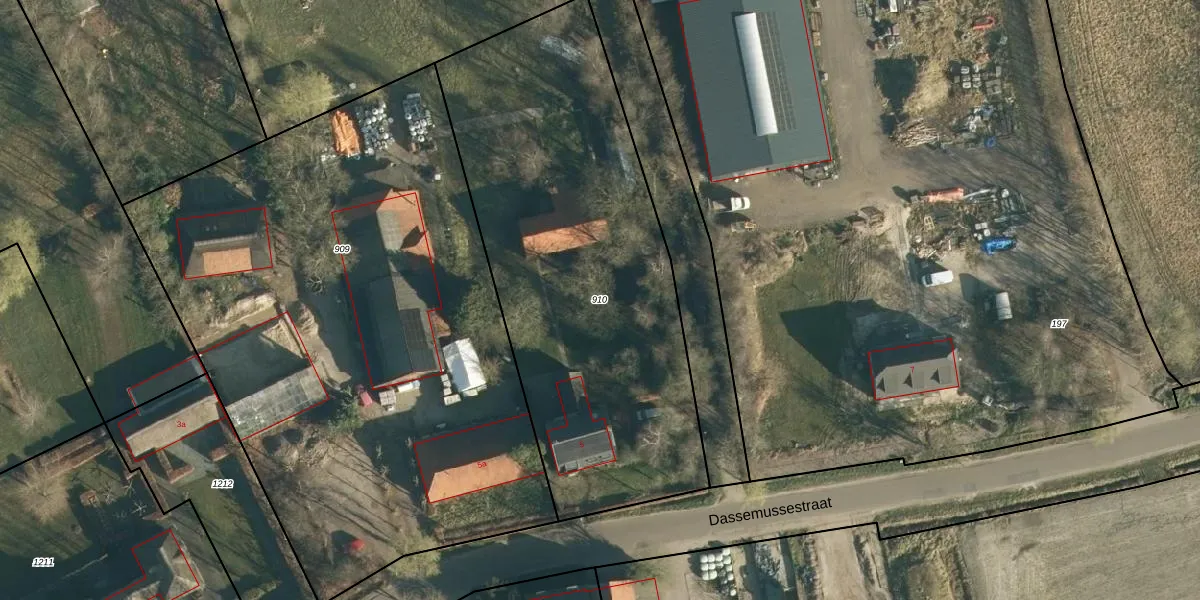
Perceel: CHA00-K-910
2.305 m2 - 218 m
Eigenaar opvragen
CHA00-K-910 (Chaam)
- 4861 TG
dbHu g pjw9Me8UE2WGUpgrade naar KadastraleKaart Pro
Verkoopprijs opvragen
Bekijk op Street View
Download DWG/DXF/Excel
WADYQIj0BhCZ44yjwRNUpgrade naar KadastraleKaart Pro
KlGox 25IMqGg39eUpgrade naar KadastraleKaart Pro
5GqwLITQrCv33SpX091Upgrade naar KadastraleKaart Pro
l 1BzHiuO 5Ewn6AUpgrade naar KadastraleKaart Pro
ff GR SCCHjOwUpgrade naar KadastraleKaart Pro
jAmidaWgUpgrade naar KadastraleKaart Pro
7xdKCWEb0VdfE8YCSCrzaUpgrade naar KadastraleKaart Pro
lCDznnymXtSUpgrade naar KadastraleKaart Pro
N4ZgovC 0Upgrade naar KadastraleKaart Pro
2c8LDBjHrhl35Upgrade naar KadastraleKaart Pro
29/12/2011

Percelen
Gebruik de zoekbalk of klik op een perceel om informatie over het perceel te bekijken.