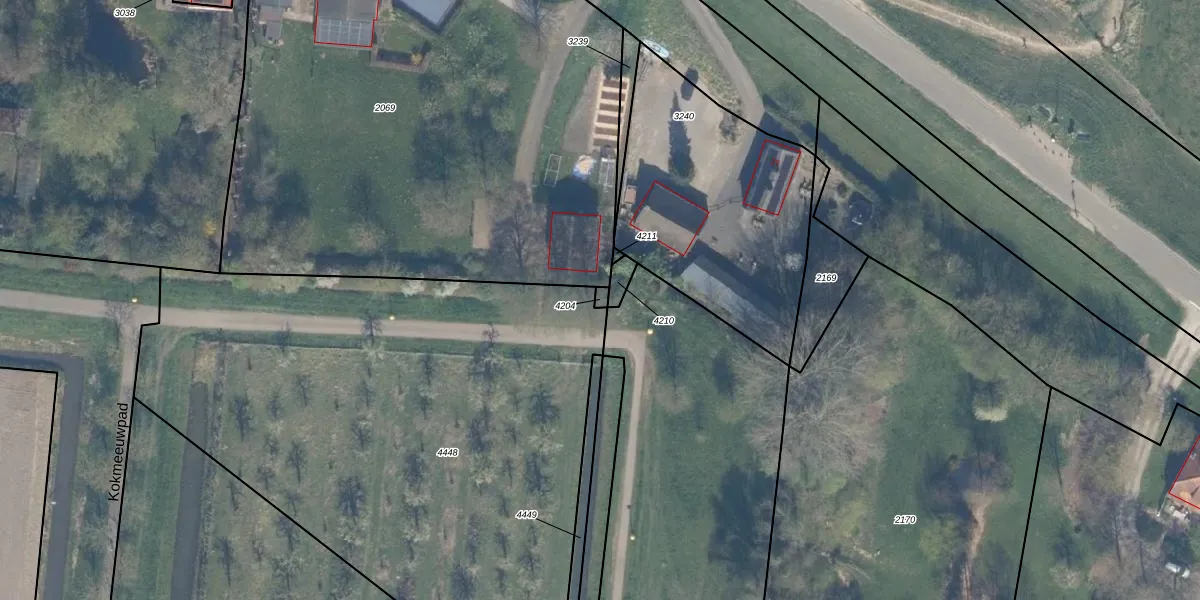
Perceel: CLB00-N-4204
KadastraleKaart.com kan meer dan je denktOntdek meer ›
Filter op bestemming 50+ datasets Eigendomsdata in één klik Percelen CRM
Geen adressen bij dit perceel
8 m2 - 11 m
Eigenaar opvragen
CLB00-N-4204 (Culemborg)
- Geen postcode aanwezig
0QwWCHOt Hu8GdoiUpgrade naar KadastraleKaart Pro
Bekijk op Street View
Download DWG/DXF/Excel
sf iv6 qCPHHyA9Upgrade naar KadastraleKaart Pro
FerVpcZTTUpgrade naar KadastraleKaart Pro
4sqs fpXOR4DDiTUpgrade naar KadastraleKaart Pro
My9fVoyEqI4I0c4PCRUpgrade naar KadastraleKaart Pro
AO21oy sX2417F Upgrade naar KadastraleKaart Pro
mXFCNEJ5Y A31tUpgrade naar KadastraleKaart Pro
aYEAF6I Upgrade naar KadastraleKaart Pro
xy5 lrZtUpgrade naar KadastraleKaart Pro
m M0QDDMkLKGdckUpgrade naar KadastraleKaart Pro
BbEAfI Oy qnd PfxTtnUpgrade naar KadastraleKaart Pro
13/04/2018

Percelen
Gebruik de zoekbalk of klik op een perceel om informatie over het perceel te bekijken.