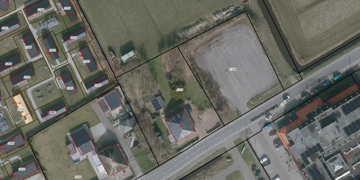
Perceel: CLO00-D-1743
KadastraleKaart.com kan meer dan je denktOntdek meer ›
Filter op bestemming 50+ datasets Eigendomsdata in één klik Percelen CRM
2.115 m2 - 187 m
Eigenaar opvragen
CLO00-D-1743 (Callantsoog)
- 1759 NA
Ihy6EE6pXdxSdCxlxeItIur6 885Upgrade naar KadastraleKaart Pro
Verkoopprijs opvragen
Bekijk op Street View
Download DWG/DXF/Excel
y0i8Wf3GH eDZXzFHUpgrade naar KadastraleKaart Pro
Q1uGtzp7UlyZ KJUpgrade naar KadastraleKaart Pro
GUHHE0 Z2Upgrade naar KadastraleKaart Pro
IPLT6LCqg9CYDUpgrade naar KadastraleKaart Pro
MFpjXjesBcl73Am2soQpKUpgrade naar KadastraleKaart Pro
rd8v5al7BprUpgrade naar KadastraleKaart Pro
DT0ye80y9dYbdlNig1Upgrade naar KadastraleKaart Pro
xGLJCYv5xN D4TUpgrade naar KadastraleKaart Pro
Mk8Qf7iVUpgrade naar KadastraleKaart Pro
vE2KzSXit4wNfVt7BeyUpgrade naar KadastraleKaart Pro
19/03/2019

Percelen
Gebruik de zoekbalk of klik op een perceel om informatie over het perceel te bekijken.