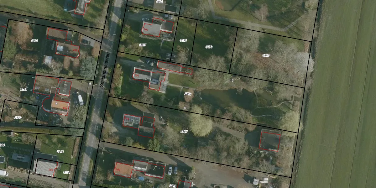
Perceel: CLS00-C-2355
KadastraleKaart.com kan meer dan je denktOntdek meer ›
Filter op bestemming 50+ datasets Eigendomsdata in één klik Percelen CRM
2.500 m2 - 253 m
Eigenaar opvragen
CLS00-C-2355 (Charlois)
- 3084 LR
b GH6fwx1McowePj sgxw DD5zGtsdUpgrade naar KadastraleKaart Pro
Bekijk op Street View
Download DWG/DXF/Excel
uYBqWqf2JWUpgrade naar KadastraleKaart Pro
8ylr fSf8YSJD3p5BiUpgrade naar KadastraleKaart Pro
l eIzPd2E66R wCPUpgrade naar KadastraleKaart Pro
DWG dtPaUgXxP Upgrade naar KadastraleKaart Pro
q 8oLEw9IUpgrade naar KadastraleKaart Pro
zMUrKQv gdEZ33UnbTJrUpgrade naar KadastraleKaart Pro
vjgRTOV2Upgrade naar KadastraleKaart Pro
SriVMj1kUpgrade naar KadastraleKaart Pro
CjL4G IoUUpgrade naar KadastraleKaart Pro
Wh42r4WmUXq eN3EFHn4Upgrade naar KadastraleKaart Pro
18/10/2018

Percelen
Gebruik de zoekbalk of klik op een perceel om informatie over het perceel te bekijken.