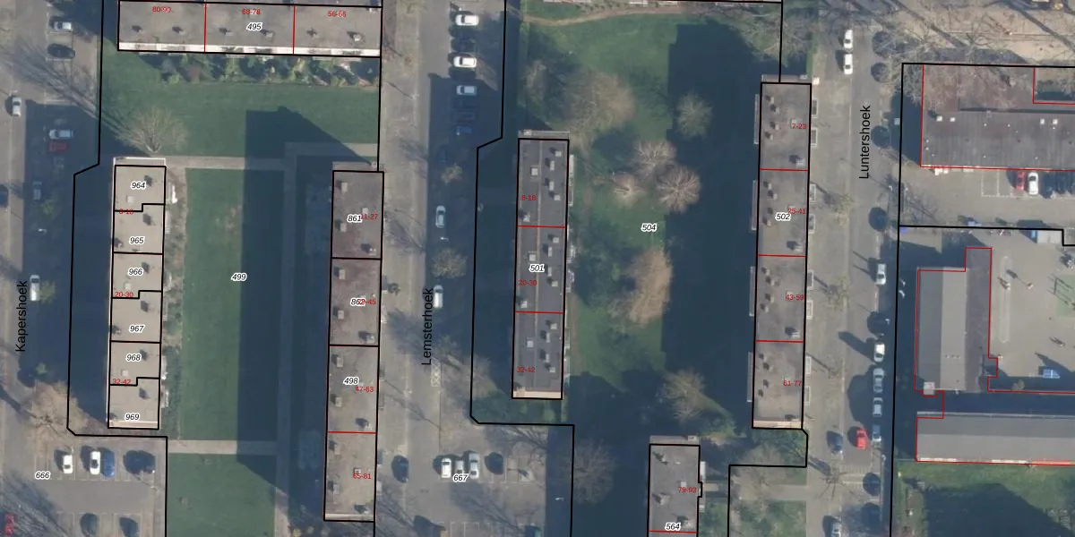
Perceel: CLS00-K-501
KadastraleKaart.com kan meer dan je denktOntdek meer ›
Filter op bestemming 50+ datasets Eigendomsdata in één klik Percelen CRM
446 m2 - 115 m
Eigenaar opvragen
CLS00-K-501 (Charlois)
- 3085 EH
Zt u3W Ve Tt nNNGOWrfG WMWmyBUpgrade naar KadastraleKaart Pro
Verkoopprijs opvragen
Bekijk op Street View
Download DWG/DXF/Excel
lUa0C0lGlWXxMqcMOLUpgrade naar KadastraleKaart Pro
q HfaHY1Jzt1s Upgrade naar KadastraleKaart Pro
n lcBXLnEM bRP mH1BVUpgrade naar KadastraleKaart Pro
eZ yFvWtUpgrade naar KadastraleKaart Pro
7mZ 0 w3i6cZi MOOo fE0dUpgrade naar KadastraleKaart Pro
QsISrP xoo6j4rK7E 26Upgrade naar KadastraleKaart Pro
RZO6r0 bUpgrade naar KadastraleKaart Pro
onqD54XpXgFfGjrmxqexGUpgrade naar KadastraleKaart Pro
VBDV6SmcGUpgrade naar KadastraleKaart Pro
w6NPldcgiloVzVt Upgrade naar KadastraleKaart Pro
24/04/2003

Percelen
Gebruik de zoekbalk of klik op een perceel om informatie over het perceel te bekijken.