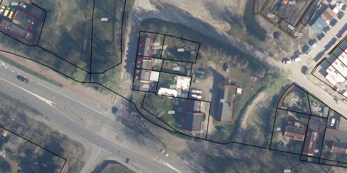
Perceel: CLS00-L-3253
KadastraleKaart.com kan meer dan je denktOntdek meer ›
Filter op bestemming 50+ datasets Eigendomsdata in één klik Percelen CRM
Geen adressen bij dit perceel
251 m2 - 64 m
Eigenaar opvragen
CLS00-L-3253 (Charlois)
- Geen postcode aanwezig
vK8G0S2Q12VSGjcX2g7hUpgrade naar KadastraleKaart Pro
Bekijk op Street View
Download DWG/DXF/Excel
F 3 7yGIDIy6cScUpgrade naar KadastraleKaart Pro
iQ180 5a2WINQUpgrade naar KadastraleKaart Pro
XVh9cieL7yUpgrade naar KadastraleKaart Pro
T 7TYAHzrz8zAEAWmKxEUpgrade naar KadastraleKaart Pro
sMBqkWdeRasFVCDUpgrade naar KadastraleKaart Pro
5rr4iM90 9 jMesE6CnTxUpgrade naar KadastraleKaart Pro
Il7HaSSAaGQ wt fbuE5Upgrade naar KadastraleKaart Pro
z2 ScGhsVTPRuUpgrade naar KadastraleKaart Pro
jRzjVOo0VZjnBjLUUpgrade naar KadastraleKaart Pro
YD eFf4bpSLe2nGkZTKrX7Upgrade naar KadastraleKaart Pro
13/06/2022

Percelen
Gebruik de zoekbalk of klik op een perceel om informatie over het perceel te bekijken.