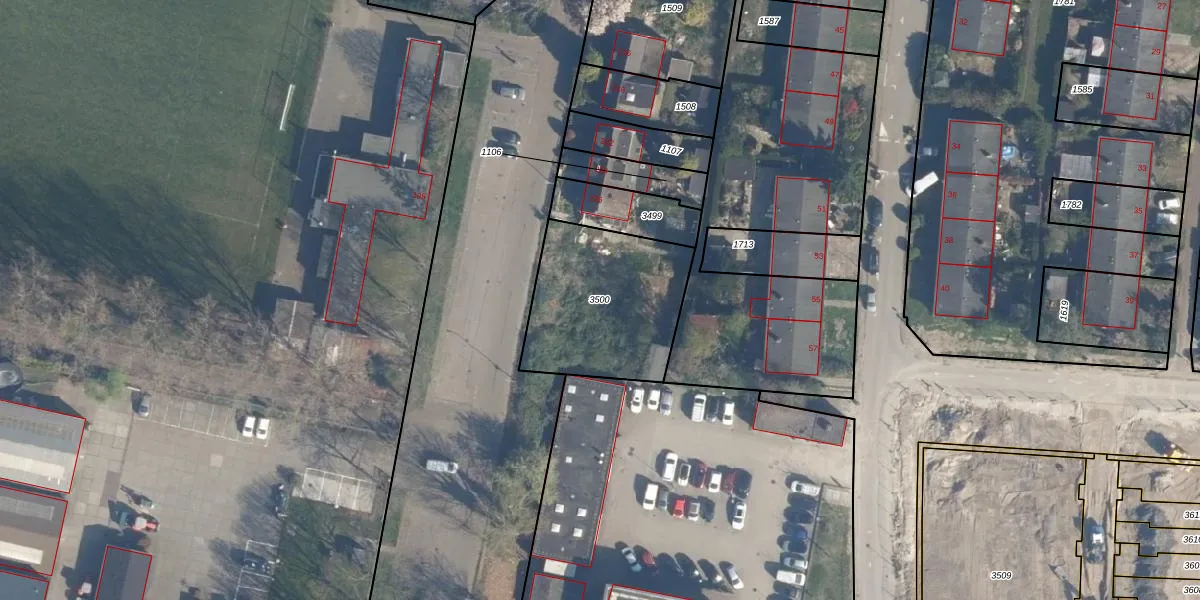
Perceel: CLS00-L-3500
KadastraleKaart.com kan meer dan je denktOntdek meer ›
Filter op bestemming 50+ datasets Eigendomsdata in één klik Percelen CRM
Geen adressen bij dit perceel
594 m2 - 98 m
Eigenaar opvragen
CLS00-L-3500 (Charlois)
- Geen postcode aanwezig
8X9t48Ztu mV7pMvPUpXUpgrade naar KadastraleKaart Pro
Bekijk op Street View
Download DWG/DXF/Excel
yjij2rV7YtJBIk 4 2El1cUpgrade naar KadastraleKaart Pro
RrYFFGTOOGiuhtjTniQQUpgrade naar KadastraleKaart Pro
iNL5Q5sUpgrade naar KadastraleKaart Pro
k47cuVdpuF jXz7m Upgrade naar KadastraleKaart Pro
hXN4CVm9 y5HCcJUpgrade naar KadastraleKaart Pro
vx11eHiTZDbUpgrade naar KadastraleKaart Pro
aNaA4WprYVPiUpgrade naar KadastraleKaart Pro
rgSAl2D9Upgrade naar KadastraleKaart Pro
fkZuS5ldNwYhfrUpgrade naar KadastraleKaart Pro
wq9ctV2DXHRxwu1Upgrade naar KadastraleKaart Pro
01/04/2025

Percelen
Gebruik de zoekbalk of klik op een perceel om informatie over het perceel te bekijken.