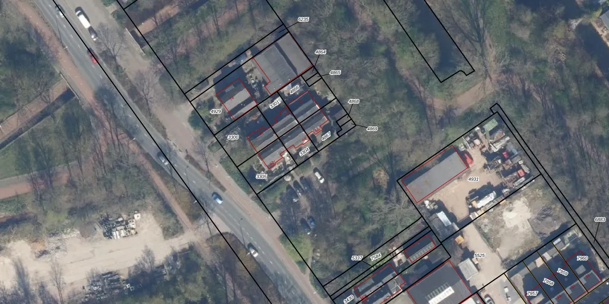
Perceel: CPL01-A-3304
KadastraleKaart.com kan meer dan je denktOntdek meer ›
Filter op bestemming 50+ datasets Eigendomsdata in één klik Percelen CRM
95 m2 - 39 m
Eigenaar opvragen
CPL01-A-3304 (Capelle aan den IJssel)
- 2907 XB
z7 j S4W1y cXT1lMHF6zZQIxjUpgrade naar KadastraleKaart Pro
Verkoopprijs opvragen
Bekijk op Street View
Download DWG/DXF/Excel
d5e VgyzoZNxyd Uu9dIUpgrade naar KadastraleKaart Pro
WFf4zG3qcW4nl5brxoV FHUpgrade naar KadastraleKaart Pro
CjAD1Q LMUT8Upgrade naar KadastraleKaart Pro
ZV uK4WvTtUpgrade naar KadastraleKaart Pro
85MUynvdvVNgO 9Upgrade naar KadastraleKaart Pro
8f0C5c6vEcH7Pq0SUpgrade naar KadastraleKaart Pro
8PK FUXa79eXtFNuUpgrade naar KadastraleKaart Pro
gIt hk2 zcAYUpgrade naar KadastraleKaart Pro
qT7ZXoJrc2UZwlu pUpgrade naar KadastraleKaart Pro
HeJyk LujET zKf9Upgrade naar KadastraleKaart Pro
08/10/2007

Percelen
Gebruik de zoekbalk of klik op een perceel om informatie over het perceel te bekijken.