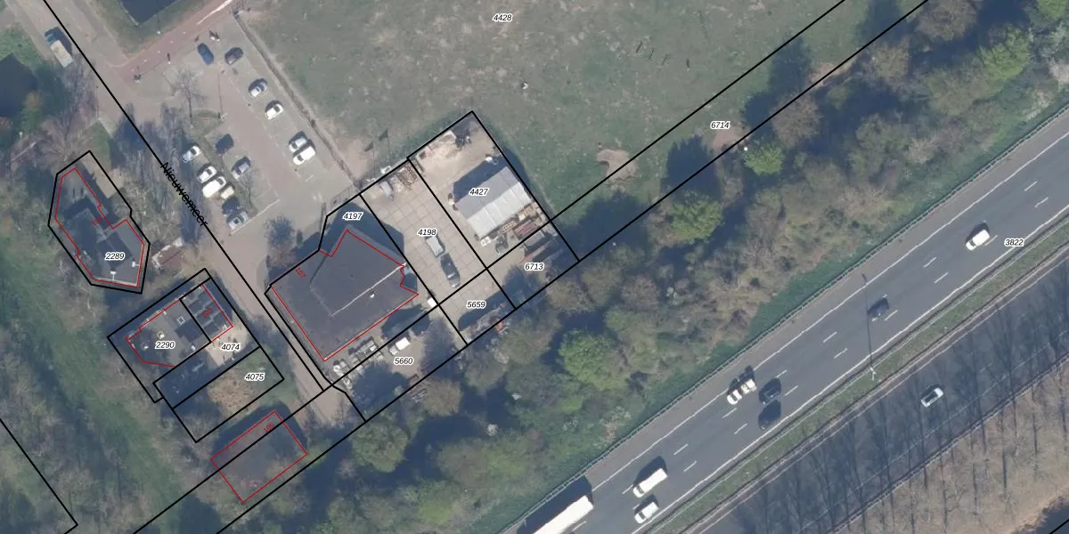
Perceel: CPL01-D-6713
KadastraleKaart.com kan meer dan je denktOntdek meer ›
Filter op bestemming 50+ datasets Eigendomsdata in één klik Percelen CRM
Geen adressen bij dit perceel
140 m2 - 49 m
Eigenaar opvragen
CPL01-D-6713 (Capelle aan den IJssel)
- Geen postcode aanwezig
iKFvgtC22TZf89mmQ6Upgrade naar KadastraleKaart Pro
Bekijk op Street View
Download DWG/DXF/Excel
dea9bAp4NRpymUrj8ahYS4zUpgrade naar KadastraleKaart Pro
1vpn8oBiLUUpgrade naar KadastraleKaart Pro
kbqr 2X5h2oMH4UUpgrade naar KadastraleKaart Pro
5v ysqIrlmeAkF t v lUpgrade naar KadastraleKaart Pro
g F DD3Z DzyXIjlmmWCUpgrade naar KadastraleKaart Pro
S FD3CMHR8wf3 er6hiUpgrade naar KadastraleKaart Pro
KsZef8sZKZuire 44gyMqeUpgrade naar KadastraleKaart Pro
JgSvXkMqUpgrade naar KadastraleKaart Pro
DycdFSHE0sOQto sfYWslxUpgrade naar KadastraleKaart Pro
xHOAQcqlA LcT E27lhaw7Upgrade naar KadastraleKaart Pro
26/02/2020

Percelen
Gebruik de zoekbalk of klik op een perceel om informatie over het perceel te bekijken.