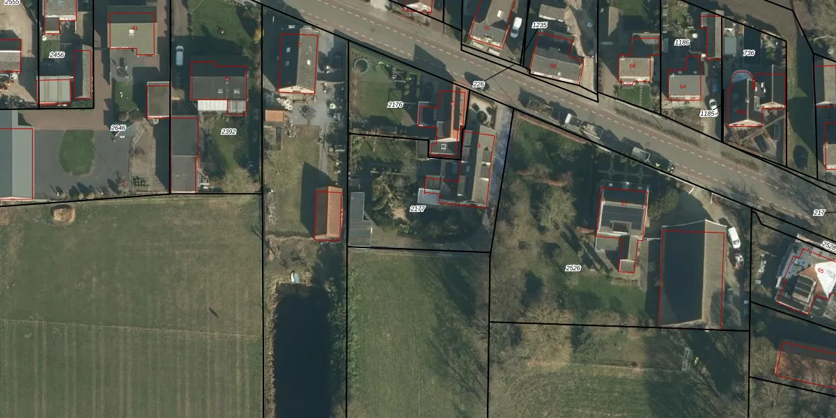
Perceel: CPL02-E-2177
KadastraleKaart.com kan meer dan je denktOntdek meer ›
Filter op bestemming 50+ datasets Eigendomsdata in één klik Percelen CRM
1.045 m2 - 156 m
Eigenaar opvragen
CPL02-E-2177 (Capelle)
- 5161 GB
E58PaiENEU pTd4aGwlJaUpgrade naar KadastraleKaart Pro
Verkoopprijs opvragen
Bekijk op Street View
Download DWG/DXF/Excel
fcP 9Z pSQ208f5FZUpgrade naar KadastraleKaart Pro
lYdsf0xZ HhVQdNUpgrade naar KadastraleKaart Pro
nJZ5c7Uu 88KxfrjR Upgrade naar KadastraleKaart Pro
tAl cbn YdKkibSUpgrade naar KadastraleKaart Pro
tykYVt zS hfTCfPgpEUpgrade naar KadastraleKaart Pro
BjS8UkyY7jbtE2yZ QyZAUpgrade naar KadastraleKaart Pro
XoABUJS0ABqXmxH7zAUpgrade naar KadastraleKaart Pro
fQftckZ 0cCTBDdL A2Upgrade naar KadastraleKaart Pro
nM7m5zkD9bqlW5dqk6O 1QUpgrade naar KadastraleKaart Pro
1M8f11jT64JPUpgrade naar KadastraleKaart Pro
05/04/2006

Percelen
Gebruik de zoekbalk of klik op een perceel om informatie over het perceel te bekijken.