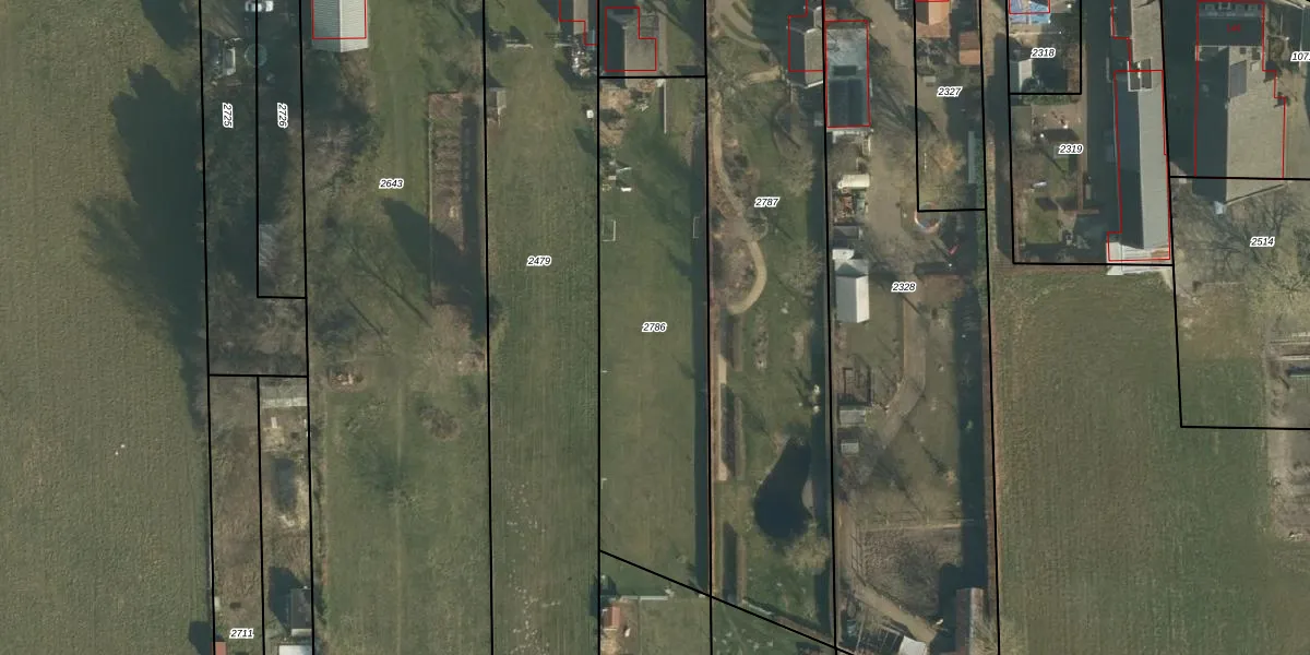
Perceel: CPL02-E-2786
KadastraleKaart.com kan meer dan je denktOntdek meer ›
Filter op bestemming 50+ datasets Eigendomsdata in één klik Percelen CRM
Geen adressen bij dit perceel
1.275 m2 - 187 m
Eigenaar opvragen
CPL02-E-2786 (Capelle)
- Geen postcode aanwezig
UnA4t NT1KHoAZuDDU9l ET5xgOJUpgrade naar KadastraleKaart Pro
Bekijk op Street View
Download DWG/DXF/Excel
l 3kJm4NjPZS M jfvx a Upgrade naar KadastraleKaart Pro
GSZG Wiix1GAEo34bUpgrade naar KadastraleKaart Pro
Y5w2pXHul3PEijJJHM3QXqUpgrade naar KadastraleKaart Pro
5mDkQ7g6PzUpgrade naar KadastraleKaart Pro
2isMxJY1 vqwpogqnRZPUpgrade naar KadastraleKaart Pro
skmX 0tnn6 RGrzqqxUpgrade naar KadastraleKaart Pro
TWMDkJmx Upgrade naar KadastraleKaart Pro
RCAEWbADK3ZbDshMKS8h9NUpgrade naar KadastraleKaart Pro
2U MgjgxHj JR7XZcdk9HUpgrade naar KadastraleKaart Pro
b623r2mYnUpgrade naar KadastraleKaart Pro
11/06/2019

Percelen
Gebruik de zoekbalk of klik op een perceel om informatie over het perceel te bekijken.