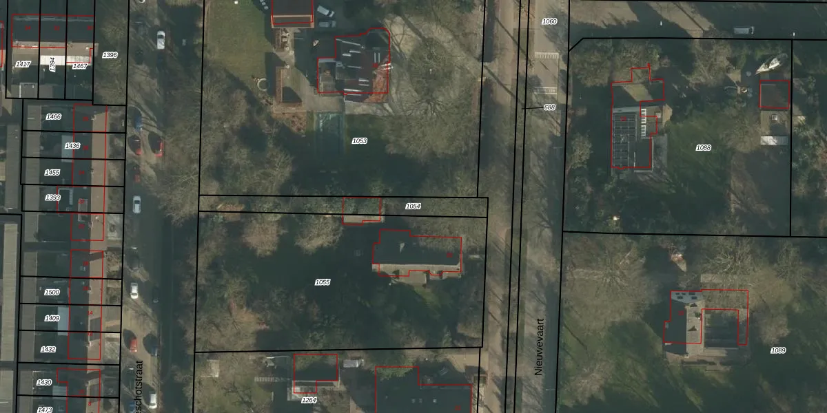
Perceel: CPL02-G-1054
KadastraleKaart.com kan meer dan je denktOntdek meer ›
Filter op bestemming 50+ datasets Eigendomsdata in één klik Percelen CRM
Geen adressen bij dit perceel
300 m2 - 148 m
Eigenaar opvragen
CPL02-G-1054 (Capelle)
- Geen postcode aanwezig
AtVNxcj39XVoUDOGmv31FYhUpgrade naar KadastraleKaart Pro
Bekijk op Street View
Download DWG/DXF/Excel
p7asBAiZkaS01GynZBF0ASVUpgrade naar KadastraleKaart Pro
eG 6A LBM efbgUpgrade naar KadastraleKaart Pro
FPwyk fuzwLUpgrade naar KadastraleKaart Pro
Nv1Ayon6VUUpgrade naar KadastraleKaart Pro
U rsK8mv9nyu tUpgrade naar KadastraleKaart Pro
vBlSaYP4T4 RXES7Bl ouSUpgrade naar KadastraleKaart Pro
dOXtaIoBL7jppl9Upgrade naar KadastraleKaart Pro
KOtapMM82WK YDabUpgrade naar KadastraleKaart Pro
PUCYZdDkRvHjZpfIAzA9 cUpgrade naar KadastraleKaart Pro
3vai4vuv HUpgrade naar KadastraleKaart Pro
12/04/2006

Percelen
Gebruik de zoekbalk of klik op een perceel om informatie over het perceel te bekijken.