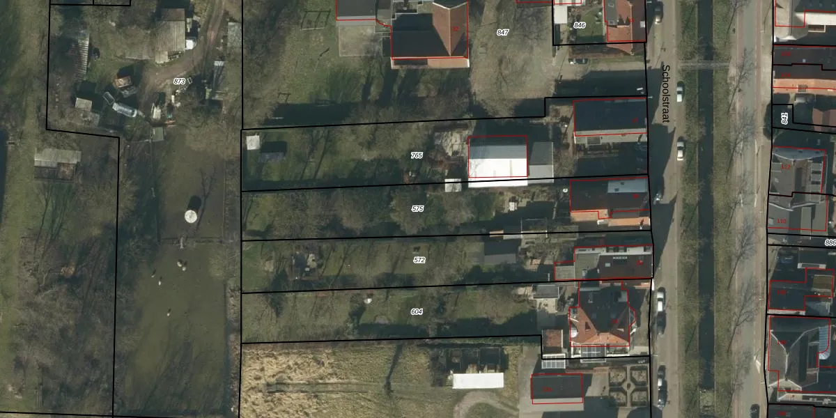
Perceel: CPL02-H-575
KadastraleKaart.com kan meer dan je denktOntdek meer ›
Filter op bestemming 50+ datasets Eigendomsdata in één klik Percelen CRM
1.238 m2 - 221 m
Eigenaar opvragen
CPL02-H-575 (Capelle)
- 5161 ZD
S 96dZjrDpBKwC6dRoFrbpUpgrade naar KadastraleKaart Pro
Bekijk op Street View
Download DWG/DXF/Excel
8RqejuaPaEQy1qUpgrade naar KadastraleKaart Pro
y8wFzeUbqwCoc xQgd TUxUpgrade naar KadastraleKaart Pro
jnT CWAs RKM 5f1Upgrade naar KadastraleKaart Pro
CiJx ksuWvfWUpgrade naar KadastraleKaart Pro
E58PDYY 2k uylYxnAXQkb6Upgrade naar KadastraleKaart Pro
x2nojUg9p7u HAocUpgrade naar KadastraleKaart Pro
GhLNJfihIsijWlHqn1hUpgrade naar KadastraleKaart Pro
BJfR W6B9 3D5qF Y Upgrade naar KadastraleKaart Pro
aSlK8F 6y22txrIDY jUpgrade naar KadastraleKaart Pro
LHqOlcVjUpgrade naar KadastraleKaart Pro
06/04/2006

Percelen
Gebruik de zoekbalk of klik op een perceel om informatie over het perceel te bekijken.