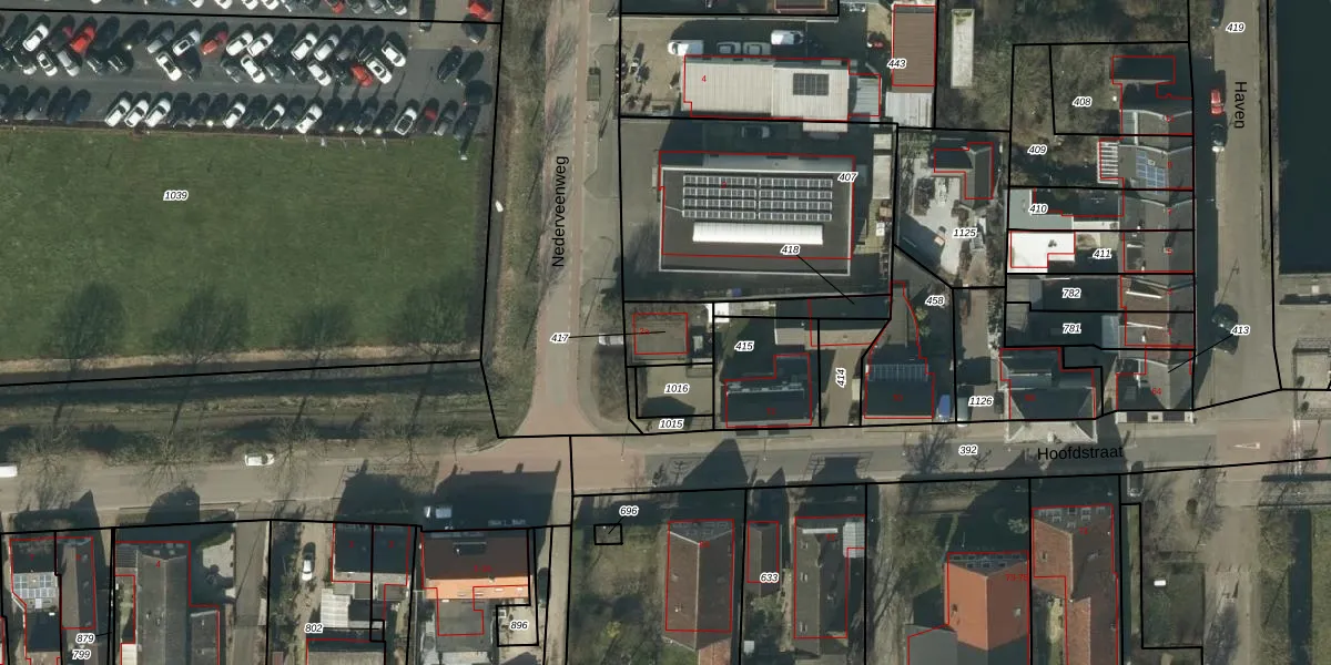
Perceel: CPL02-N-417
KadastraleKaart.com kan meer dan je denktOntdek meer ›
Filter op bestemming 50+ datasets Eigendomsdata in één klik Percelen CRM
125 m2 - 46 m
Eigenaar opvragen
CPL02-N-417 (Capelle)
- Geen postcode aanwezig
uMMLoP6A RlY YREq5omXE sTI3Upgrade naar KadastraleKaart Pro
Bekijk op Street View
Download DWG/DXF/Excel
I6Wd hbndHUpgrade naar KadastraleKaart Pro
YLvpsPIW7t2LUpgrade naar KadastraleKaart Pro
w KiYQJf3vRJBUpgrade naar KadastraleKaart Pro
NURLRm6z03C2 D WowZ Upgrade naar KadastraleKaart Pro
3G19k p0igLTUpgrade naar KadastraleKaart Pro
kbXchJ4y9XjG 1u VGUpgrade naar KadastraleKaart Pro
YafHyTy1Upgrade naar KadastraleKaart Pro
Xxme9qrz4a14T8tQRUpgrade naar KadastraleKaart Pro
95E0oUuzpUs14SGeNbkaUpgrade naar KadastraleKaart Pro
ELmQ COjeFYgzUpgrade naar KadastraleKaart Pro
27/03/2017

Percelen
Gebruik de zoekbalk of klik op een perceel om informatie over het perceel te bekijken.