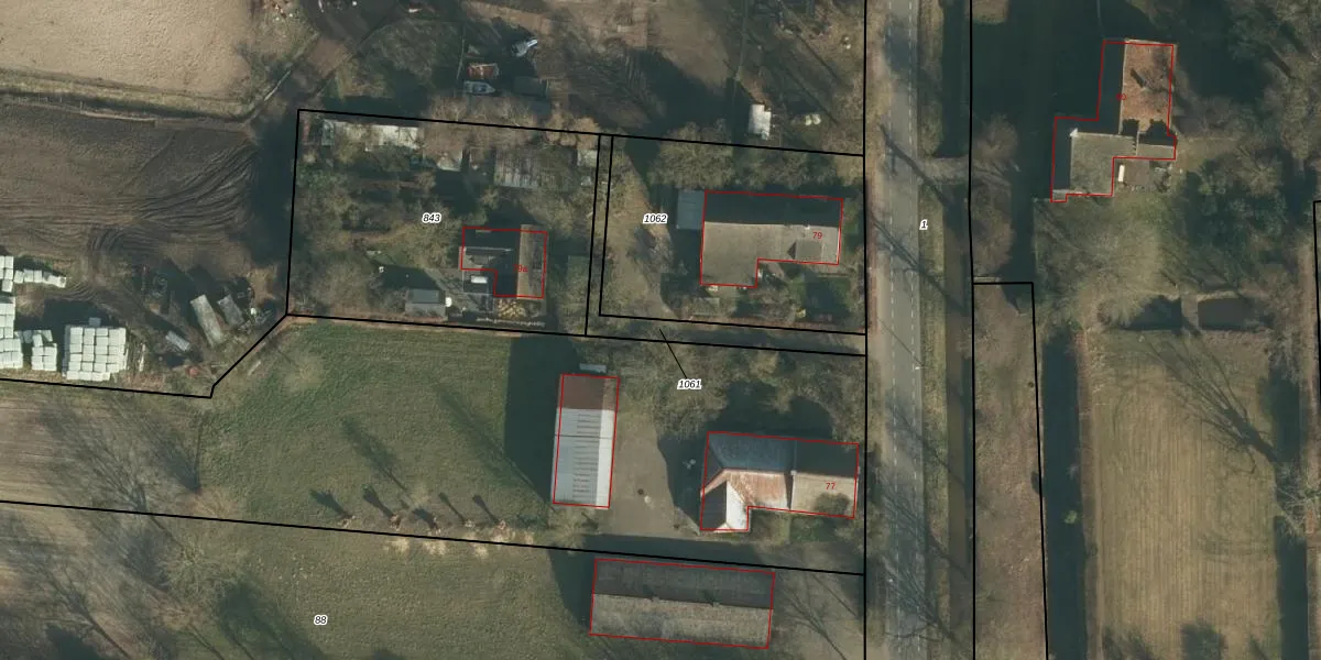
Perceel: CPL02-O-1061
KadastraleKaart.com kan meer dan je denktOntdek meer ›
Filter op bestemming 50+ datasets Eigendomsdata in één klik Percelen CRM
Geen adressen bij dit perceel
190 m2 - 146 m
Eigenaar opvragen
CPL02-O-1061 (Capelle)
- Geen postcode aanwezig
jhq hez9ZurZ KjscBcFlGXmacsnUpgrade naar KadastraleKaart Pro
Bekijk op Street View
Download DWG/DXF/Excel
umLq4I5 j1Upgrade naar KadastraleKaart Pro
vm j7Bs9VrPzUpgrade naar KadastraleKaart Pro
LOdZcn5TqYTwxJUpgrade naar KadastraleKaart Pro
oVnKgk6MpUpgrade naar KadastraleKaart Pro
FHu0AWN awHKXAG Upgrade naar KadastraleKaart Pro
HlK5KoTvpstxm9ZKcgajSUpgrade naar KadastraleKaart Pro
XEqi3O0DdwUpgrade naar KadastraleKaart Pro
HWDbfkMh CDDUrUJARrUpgrade naar KadastraleKaart Pro
zlSsy KPIXvYmLh0i nr Upgrade naar KadastraleKaart Pro
0WWQVlK2 OP Upgrade naar KadastraleKaart Pro
30/03/2015

Percelen
Gebruik de zoekbalk of klik op een perceel om informatie over het perceel te bekijken.