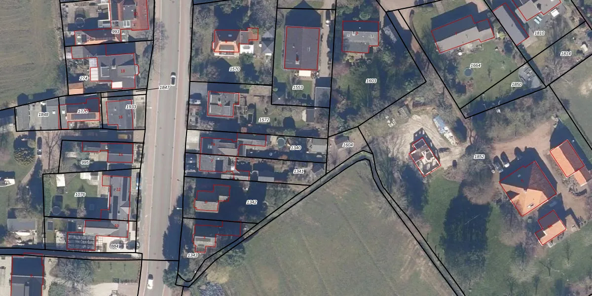
Perceel: CTC00-A-1340
KadastraleKaart.com kan meer dan je denktOntdek meer ›
Filter op bestemming 50+ datasets Eigendomsdata in één klik Percelen CRM
380 m2 - 112 m
Eigenaar opvragen
CTC00-A-1340 (Castricum)
- 1901 MA
2p8ChICr7PUrFDusRSBosIh2uUpgrade naar KadastraleKaart Pro
Verkoopprijs opvragen
Bekijk op Street View
Download DWG/DXF/Excel
UAculgIl3Upgrade naar KadastraleKaart Pro
qowrfyQwz0Upgrade naar KadastraleKaart Pro
IBN yGxFAUpgrade naar KadastraleKaart Pro
lTsc8zDVmix3kuU8Hxe1 Upgrade naar KadastraleKaart Pro
1o GWLcREhqOUpgrade naar KadastraleKaart Pro
LelcVT3Cuq9uyHYO Upgrade naar KadastraleKaart Pro
hoSgh35257hnDf KUpgrade naar KadastraleKaart Pro
qSJUV4RuLF0WwUpgrade naar KadastraleKaart Pro
pa3iBwSHaq9EyuRnAcUpgrade naar KadastraleKaart Pro
zJgqr6U4jjMN18Upgrade naar KadastraleKaart Pro
13/02/2003

Percelen
Gebruik de zoekbalk of klik op een perceel om informatie over het perceel te bekijken.