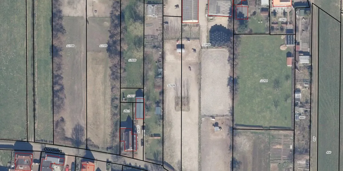
Perceel: CTC00-B-12328
KadastraleKaart.com kan meer dan je denktOntdek meer ›
Filter op bestemming 50+ datasets Eigendomsdata in één klik Percelen CRM
Geen adressen bij dit perceel
990 m2 - 207 m
Eigenaar opvragen
CTC00-B-12328 (Castricum)
- Geen postcode aanwezig
KmeDIXiij3upg78jyyhjVzgyUGp 4TKUpgrade naar KadastraleKaart Pro
Bekijk op Street View
Download DWG/DXF/Excel
7waQX4bTLwxQ3LVeBQ6yUpgrade naar KadastraleKaart Pro
hESXM HB7 1u4lgxi5mUpgrade naar KadastraleKaart Pro
sMjQV7m79wzdUpgrade naar KadastraleKaart Pro
k5qHawht1t6i0ru 5f5 TKVUpgrade naar KadastraleKaart Pro
IhOiExLA0A6EqY8k LNzXsUpgrade naar KadastraleKaart Pro
yHxZRsEQwcN F Upgrade naar KadastraleKaart Pro
9xYJgJwabfpK JYeSfvE gUpgrade naar KadastraleKaart Pro
PznPBISCYOBZlKiFUpgrade naar KadastraleKaart Pro
1T2 h4EpiUlUpgrade naar KadastraleKaart Pro
HNJgYyXQBdGseWa zhUpgrade naar KadastraleKaart Pro
10/05/2012

Percelen
Gebruik de zoekbalk of klik op een perceel om informatie over het perceel te bekijken.