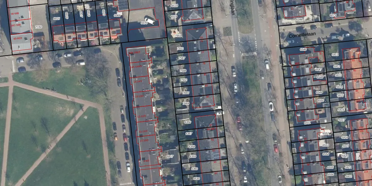
Perceel: CTR00-C-7665
150 m2 - 62 m
Eigenaar opvragen
CTR00-C-7665 (Catharijne)
- 3533 AT
CNw3O ycJrsn3CpILUnGFdDm2YUpgrade naar KadastraleKaart Pro
Verkoopprijs opvragen
Bekijk op Street View
Download DWG/DXF/Excel
Ol0c q1 1Qy5m KUdUpgrade naar KadastraleKaart Pro
8kWCZsMxiDEfKOhRLTUpgrade naar KadastraleKaart Pro
DwPiaR8h6dGa aqNcbvlUpgrade naar KadastraleKaart Pro
5tmd4gZMJUpgrade naar KadastraleKaart Pro
9PzMA2r9I2Lz tlAabiUUUpgrade naar KadastraleKaart Pro
arH01rXLhR2k4PG M5eHUpgrade naar KadastraleKaart Pro
xqVyOmL2B 6 BzMXdC4Upgrade naar KadastraleKaart Pro
9BaPpxUMy1Upgrade naar KadastraleKaart Pro
Rr3dFMw6Upgrade naar KadastraleKaart Pro
66P Lwbi Vgjg8ozUpgrade naar KadastraleKaart Pro
19/09/1997

Percelen
Gebruik de zoekbalk of klik op een perceel om informatie over het perceel te bekijken.