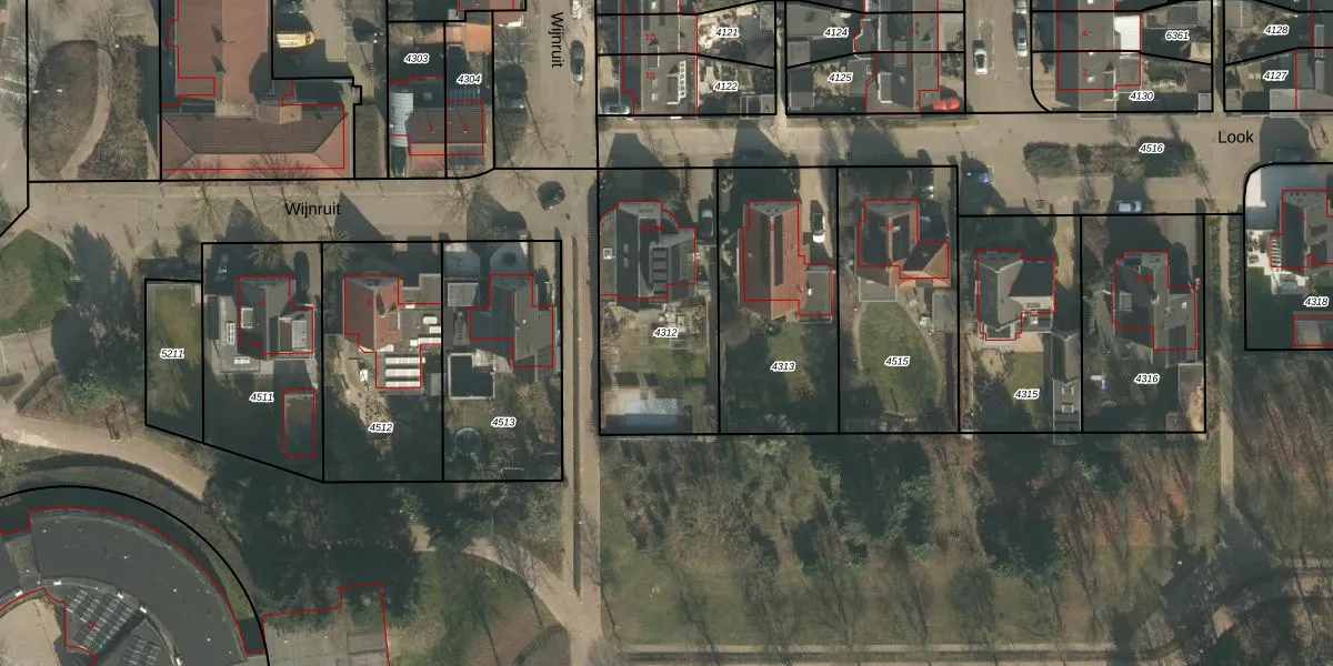
Perceel: CUI00-A-4312
718 m2 - 116 m
Eigenaar opvragen
CUI00-A-4312 (Cuijk)
- 5432 DB
ETgDHCM9iEpKxHiqgI4SDgEKMnkvi mUpgrade naar KadastraleKaart Pro
Bekijk op Street View
Download DWG/DXF/Excel
QXQ9OjCb T2Upgrade naar KadastraleKaart Pro
YagEXoK aADUpgrade naar KadastraleKaart Pro
2ySTwhdcNdvT2K2wiUpgrade naar KadastraleKaart Pro
mdOXaNhGqF698S03 rOUpgrade naar KadastraleKaart Pro
tF87JrQPvrIrNkfR6DUpgrade naar KadastraleKaart Pro
RQ6ihDPpUpgrade naar KadastraleKaart Pro
RINUqwcmoUpgrade naar KadastraleKaart Pro
MRnwb2SiMST Dn5Pzhu4CmtUpgrade naar KadastraleKaart Pro
UelzfhiRdwD6Upgrade naar KadastraleKaart Pro
BwXOjZ4M XeHvi L2ccr Upgrade naar KadastraleKaart Pro
22/03/2011

Percelen
Gebruik de zoekbalk of klik op een perceel om informatie over het perceel te bekijken.