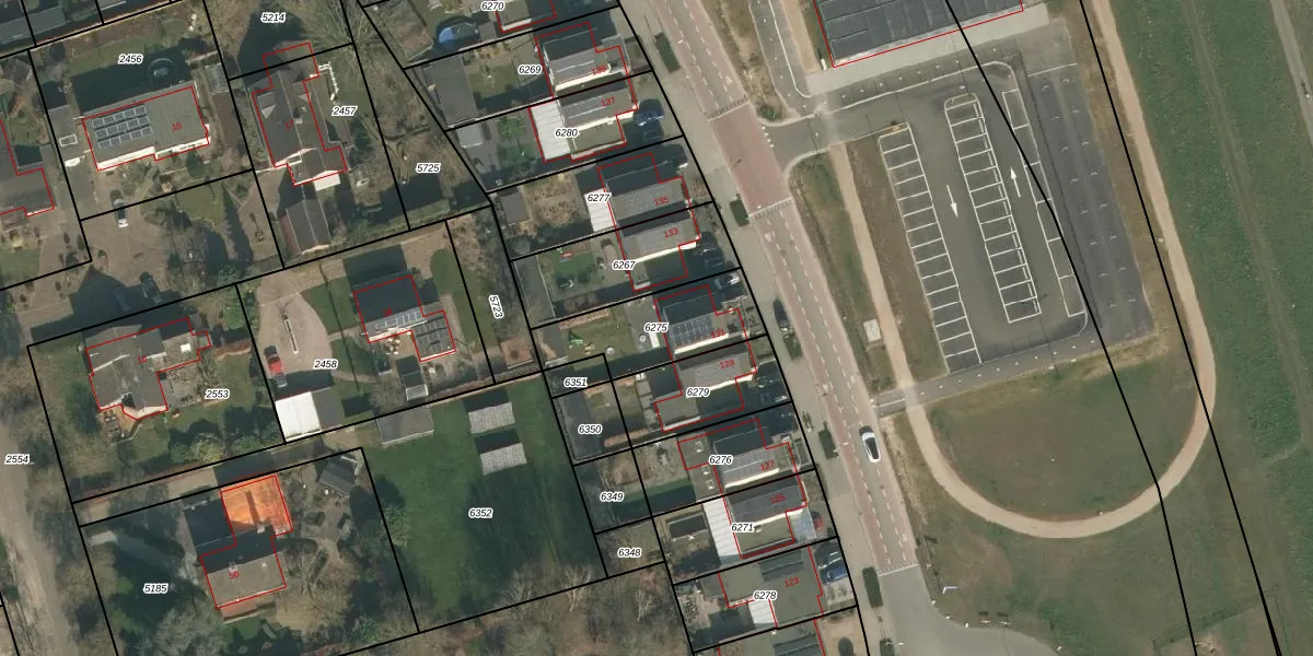
Perceel: CUI00-A-6275
329 m2 - 90 m
Eigenaar opvragen
CUI00-A-6275 (Cuijk)
- 5431 MA
7TukPsw3bZFD54sgh vUpgrade naar KadastraleKaart Pro
Bekijk op Street View
Download DWG/DXF/Excel
XlANLcVMmUpgrade naar KadastraleKaart Pro
m z71JXfaxENXMUpgrade naar KadastraleKaart Pro
zcr1 m8zOmH1ZUpgrade naar KadastraleKaart Pro
v0 4A Rryjl34sl9Upgrade naar KadastraleKaart Pro
tUNnE2TbxhWPMUpgrade naar KadastraleKaart Pro
0Or HTs8e9qUpgrade naar KadastraleKaart Pro
C1 Fz 1kUpgrade naar KadastraleKaart Pro
zgmck93XUpgrade naar KadastraleKaart Pro
ggWWyLi6 MVXh2VSPUpgrade naar KadastraleKaart Pro
GoC1kgHXUZjhfjeUpgrade naar KadastraleKaart Pro
24/07/2018

Percelen
Gebruik de zoekbalk of klik op een perceel om informatie over het perceel te bekijken.