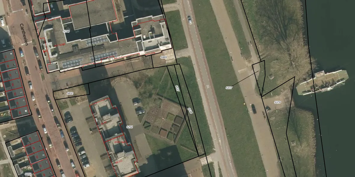
Perceel: CUI00-A-6537
Geen adressen bij dit perceel
114 m2 - 112 m
Eigenaar opvragen
CUI00-A-6537 (Cuijk)
- Geen postcode aanwezig
dAFCBZ68kU6sHzfK1C qYUpgrade naar KadastraleKaart Pro
Bekijk op Street View
Download DWG/DXF/Excel
ZV5g7KJBXUpgrade naar KadastraleKaart Pro
i3wJfr In3 Efu ctkUYwUpgrade naar KadastraleKaart Pro
lgd6NTFHtCXvPLkauAKUpgrade naar KadastraleKaart Pro
h7yOVwIx XozTmIJ eSyL8Upgrade naar KadastraleKaart Pro
nTIk 4nafHO3KD TUpgrade naar KadastraleKaart Pro
KR 4 Fwft3tgUpgrade naar KadastraleKaart Pro
O a9TxB4IisUpgrade naar KadastraleKaart Pro
EUh2C01o1ZTy5Exu4wiUpgrade naar KadastraleKaart Pro
oXh0JjynknVfypF1WN5xnUpgrade naar KadastraleKaart Pro
3FddNPvggo3G nutUpgrade naar KadastraleKaart Pro
08/10/2020

Percelen
Gebruik de zoekbalk of klik op een perceel om informatie over het perceel te bekijken.