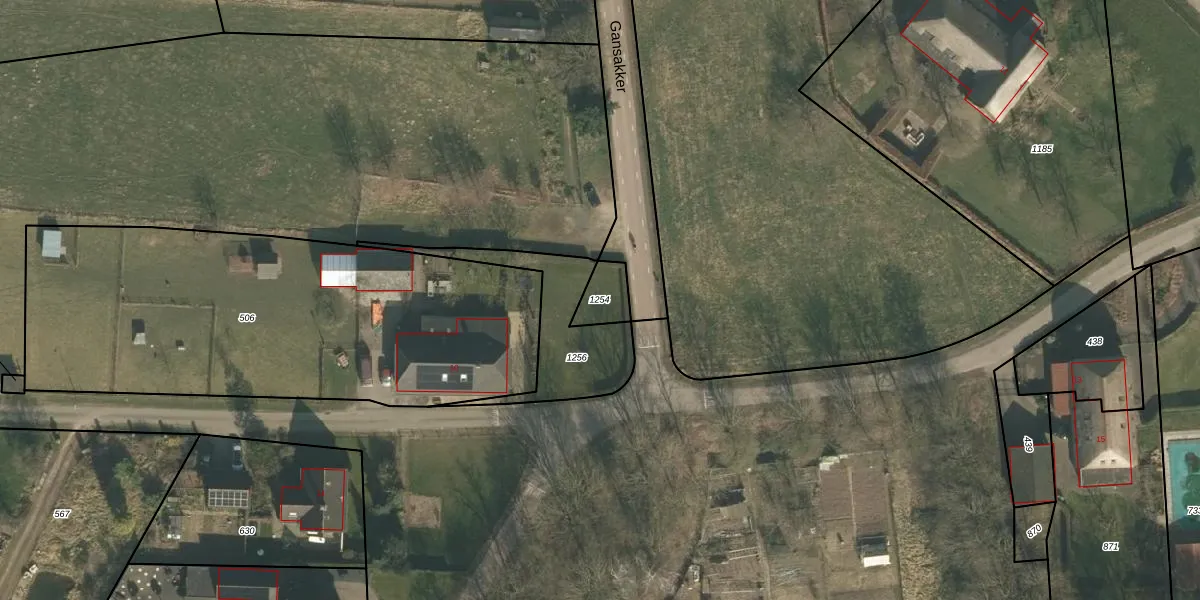
Perceel: CUI00-F-1254
Geen adressen bij dit perceel
78 m2 - 37 m
Eigenaar opvragen
CUI00-F-1254 (Cuijk)
- Geen postcode aanwezig
2brxYRcrB liirBpYYjNrcjUpgrade naar KadastraleKaart Pro
Bekijk op Street View
Download DWG/DXF/Excel
OyEShvKlH7ne6EUpgrade naar KadastraleKaart Pro
RVOYbr9u2LjOEUUpgrade naar KadastraleKaart Pro
F05s lo jOYrN5 GgtWSbUpgrade naar KadastraleKaart Pro
oaMI 8 9hUpgrade naar KadastraleKaart Pro
7l hhrE MmUpgrade naar KadastraleKaart Pro
HcBP rA IPDmWKpKVUpgrade naar KadastraleKaart Pro
Q l x ISYzYZhtiUpgrade naar KadastraleKaart Pro
ehPIP8YSEAUpgrade naar KadastraleKaart Pro
NiuCEP Hrdk9Upgrade naar KadastraleKaart Pro
MXB5aQoXZG8Upgrade naar KadastraleKaart Pro
14/05/2024

Percelen
Gebruik de zoekbalk of klik op een perceel om informatie over het perceel te bekijken.