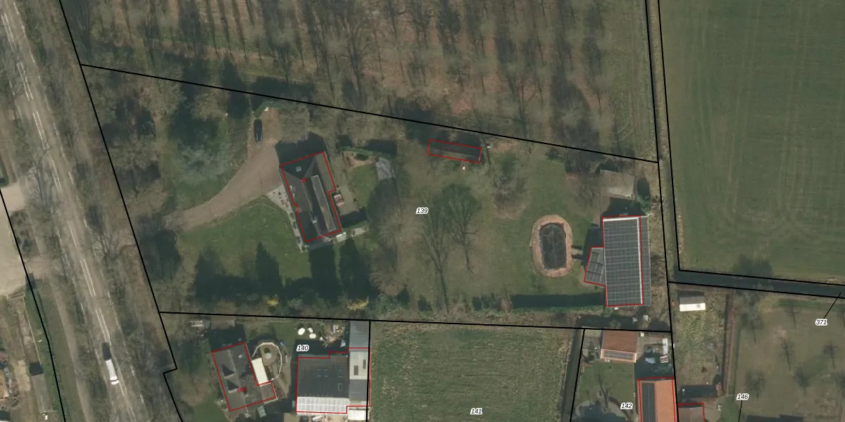
Perceel: CUI00-H-139
6.230 m2 - 362 m
Eigenaar opvragen
CUI00-H-139 (Cuijk)
- 5443 NA
B CSssfQOZa3Ui7bXq0SSS 3an9Upgrade naar KadastraleKaart Pro
Verkoopprijs opvragen
Bekijk op Street View
Download DWG/DXF/Excel
256mhKCgEUpgrade naar KadastraleKaart Pro
5AVqpJR1AY2F4CZb6JUpgrade naar KadastraleKaart Pro
iXzbGKrhUpgrade naar KadastraleKaart Pro
0dH71wFe M2C8Upgrade naar KadastraleKaart Pro
AW1xGkk8iH1SAFwz4Upgrade naar KadastraleKaart Pro
7UTNlNjnlubS DSRUpgrade naar KadastraleKaart Pro
EAe5At0yiV8YqVIeNUpgrade naar KadastraleKaart Pro
yoTZMaRIDQDpUpgrade naar KadastraleKaart Pro
RrCyTvoGW Upgrade naar KadastraleKaart Pro
C6o bGZaUpgrade naar KadastraleKaart Pro
05/07/2005

Percelen
Gebruik de zoekbalk of klik op een perceel om informatie over het perceel te bekijken.