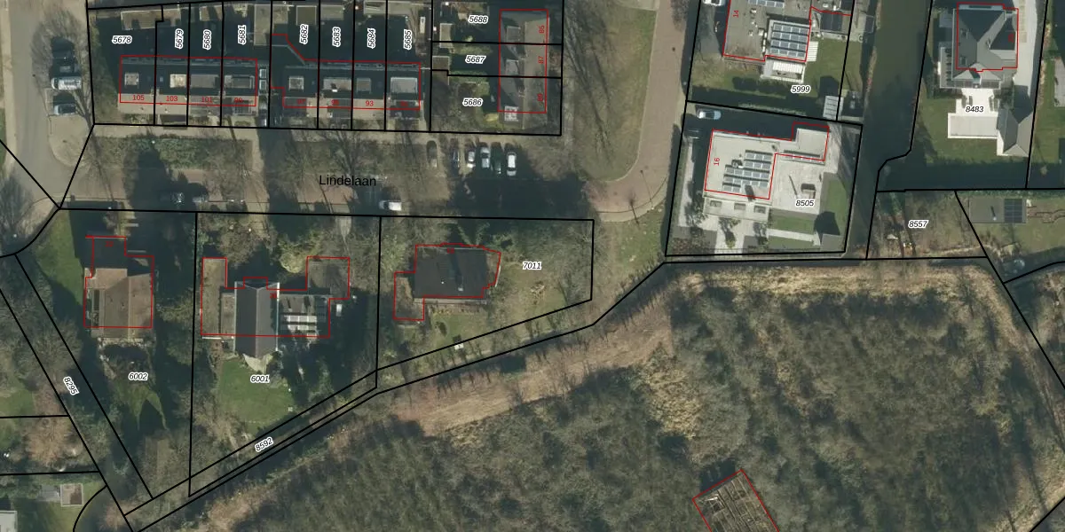
Perceel: DBD00-A-7011
KadastraleKaart.com kan meer dan je denktOntdek meer ›
Filter op bestemming 50+ datasets Eigendomsdata in één klik Percelen CRM
880 m2 - 126 m
Eigenaar opvragen
DBD00-A-7011 (Dubbeldam)
- 3319 XK
cUPo6w3eT2cMTkW4fdiP Y5sAUpgrade naar KadastraleKaart Pro
Verkoopprijs opvragen
Bekijk op Street View
Download DWG/DXF/Excel
0P YmVhAUpgrade naar KadastraleKaart Pro
BBB6w0OryIUpgrade naar KadastraleKaart Pro
ODGS OW9BhfiD00RhYM7Upgrade naar KadastraleKaart Pro
p3JFf5y kFt7dbNT4Upgrade naar KadastraleKaart Pro
NQ 0 NllC9AiQbvOI3P4a25Upgrade naar KadastraleKaart Pro
E94bvZxn719PUpgrade naar KadastraleKaart Pro
qEpduumKdWsp1bMj lUpgrade naar KadastraleKaart Pro
AwxfWOdHut 0KenbUpgrade naar KadastraleKaart Pro
2q6eDFBylYlqUpgrade naar KadastraleKaart Pro
Oqvy55Bt lSsbsUpgrade naar KadastraleKaart Pro
31/08/2012

Percelen
Gebruik de zoekbalk of klik op een perceel om informatie over het perceel te bekijken.