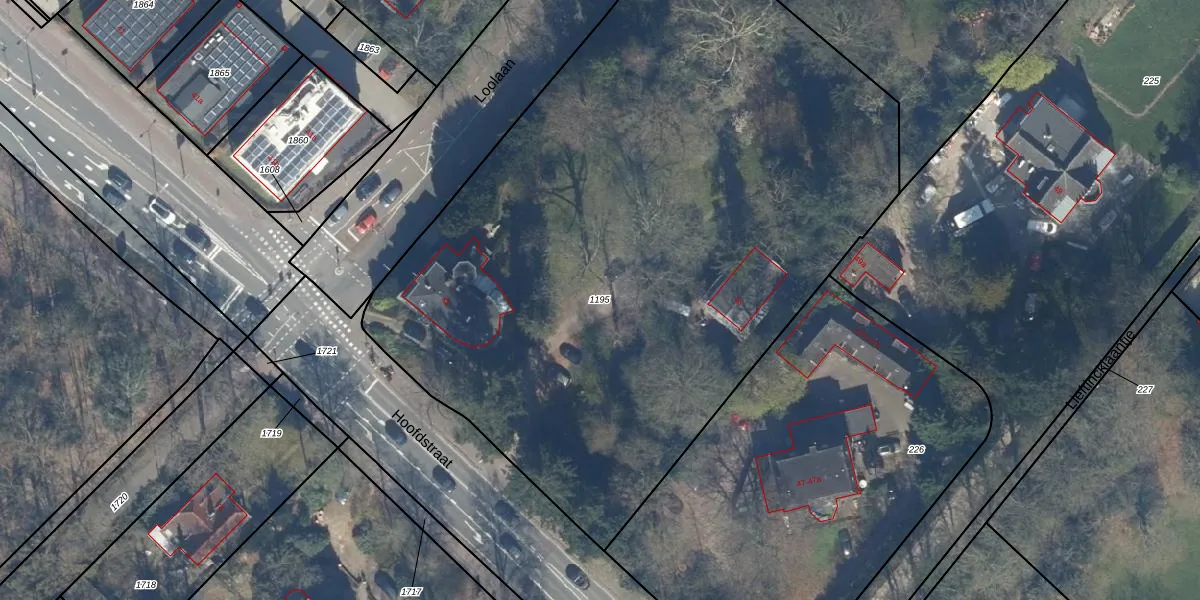
Perceel: DBG01-E-1195
KadastraleKaart.com kan meer dan je denktOntdek meer ›
Filter op bestemming 50+ datasets Eigendomsdata in één klik Percelen CRM
4.862 m2 - 282 m
Eigenaar opvragen
DBG01-E-1195 (Driebergen-Rijsenburg)
- 3971 KB
HXUG 9B9UcaUWf5pcK5ZUpgrade naar KadastraleKaart Pro
Verkoopprijs opvragen
Bekijk op Street View
Download DWG/DXF/Excel
uVDTMuEbCidBCYM6 Upgrade naar KadastraleKaart Pro
MNcLHfxyKBE odI7FUpgrade naar KadastraleKaart Pro
cTUWFaE iUpgrade naar KadastraleKaart Pro
pPUKrkwf boqVr4 RDUpgrade naar KadastraleKaart Pro
76g8U98 mzb4QLnomyAxdxYUpgrade naar KadastraleKaart Pro
nT7kNlxSr43DUpgrade naar KadastraleKaart Pro
xf95cbJPhHTFggzUpgrade naar KadastraleKaart Pro
bX76ChEZjxhbRuXJWfmaUpgrade naar KadastraleKaart Pro
hseurlb5x88I QQV7 Ltl Upgrade naar KadastraleKaart Pro
62avIXhngTt7UH5HhUpgrade naar KadastraleKaart Pro
05/04/2001

Percelen
Gebruik de zoekbalk of klik op een perceel om informatie over het perceel te bekijken.