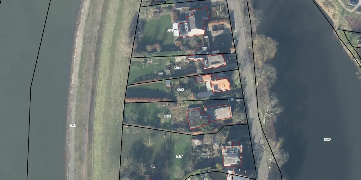
Perceel: DBG02-B-2915
KadastraleKaart.com kan meer dan je denktOntdek meer ›
Filter op bestemming 50+ datasets Eigendomsdata in één klik Percelen CRM
825 m2 - 155 m
Eigenaar opvragen
DBG02-B-2915 (Doesburg)
- 6981 BV
8HTakY3t4Ot1Kp1pAjkBVC fUg DUpgrade naar KadastraleKaart Pro
Bekijk op Street View
Download DWG/DXF/Excel
O8WHRgKjX6KZQvapUpgrade naar KadastraleKaart Pro
bjlrpf99rsogMUpgrade naar KadastraleKaart Pro
Ewd56d084bZBY6 o6Upgrade naar KadastraleKaart Pro
bnpne y 2u6CUpgrade naar KadastraleKaart Pro
0 G MJWn00Upgrade naar KadastraleKaart Pro
wxJ6pS9 Ad4YKh VuUpgrade naar KadastraleKaart Pro
XG8Oh0vntwQdQmHvYUpgrade naar KadastraleKaart Pro
40ocrFGVLypoyuZ7JUpgrade naar KadastraleKaart Pro
DAxbyHE0R6hxxDFUpgrade naar KadastraleKaart Pro
b6VVjaUdCKAAyUpgrade naar KadastraleKaart Pro
28/06/2002

Percelen
Gebruik de zoekbalk of klik op een perceel om informatie over het perceel te bekijken.