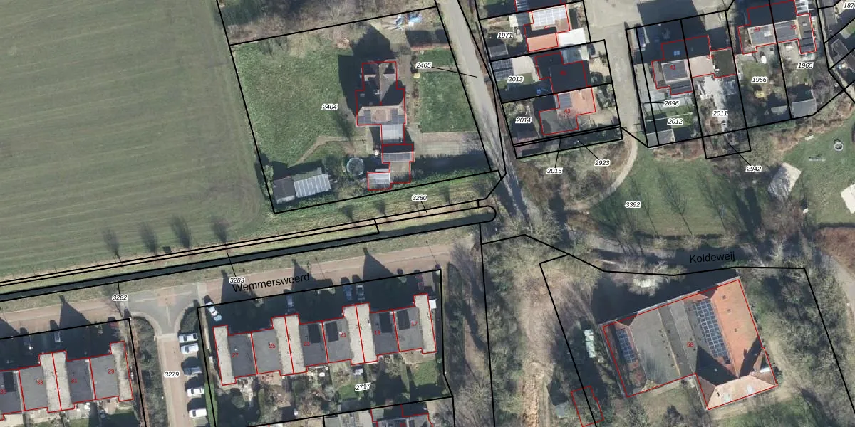
Perceel: DBG02-E-3280
Geen adressen bij dit perceel
35 m2 - 52 m
Eigenaar opvragen
DBG02-E-3280 (Doesburg)
- Geen postcode aanwezig
D 55ha4qHyqDSrUz0yPruNUpgrade naar KadastraleKaart Pro
Bekijk op Street View
Download DWG/DXF/Excel
VoL6b7QTx0ilTIUpgrade naar KadastraleKaart Pro
Md 52X5OICtuit H 1BnSUpgrade naar KadastraleKaart Pro
8l5IVcKH7FC 5kiOd Upgrade naar KadastraleKaart Pro
RE o12J1AMow Ye6 O4ha Upgrade naar KadastraleKaart Pro
RKNWcDS4P0Upgrade naar KadastraleKaart Pro
iCoP6KeIE000gUpgrade naar KadastraleKaart Pro
hPO pMDAiqJoqD aAtVAy2Upgrade naar KadastraleKaart Pro
WSt6O1cWoLubrw3LEOqBz 0Upgrade naar KadastraleKaart Pro
s0buUdNP1cFJv o8zrEUpgrade naar KadastraleKaart Pro
9RE9g3t ELOx LZUpgrade naar KadastraleKaart Pro
01/07/2011

Percelen
Gebruik de zoekbalk of klik op een perceel om informatie over het perceel te bekijken.