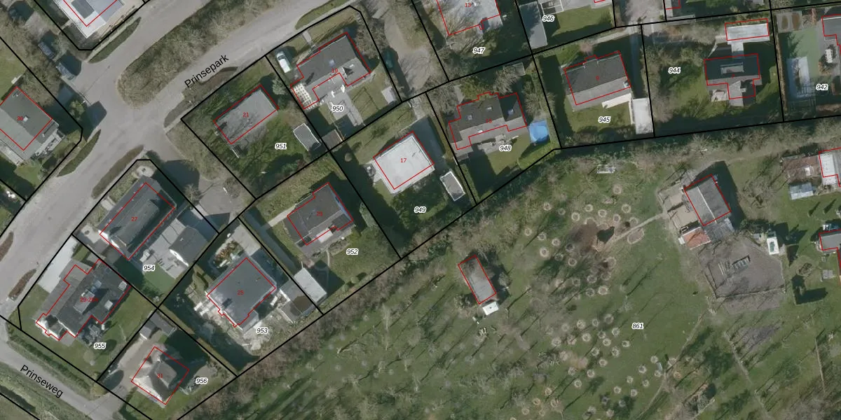
Perceel: DBG03-F-949
KadastraleKaart.com kan meer dan je denktOntdek meer ›
Filter op bestemming 50+ datasets Eigendomsdata in één klik Percelen CRM
747 m2 - 110 m
Eigenaar opvragen
DBG03-F-949 (Domburg)
- 4357 HB
ZakGw6Z 25j1vGiO3RyDUpgrade naar KadastraleKaart Pro
Bekijk op Street View
Download DWG/DXF/Excel
exex3R31fyAUpgrade naar KadastraleKaart Pro
DYeB8lEOL48f R MTx VZ2Upgrade naar KadastraleKaart Pro
Q12dhJ mlHHSHXaUpgrade naar KadastraleKaart Pro
gz6DApYFTeb6oEP5vV2w2G Upgrade naar KadastraleKaart Pro
4hortkLg2Upgrade naar KadastraleKaart Pro
Jw2ELi0UcQfd7erxJ OUpgrade naar KadastraleKaart Pro
FXEue AczF9TbW8m XUpgrade naar KadastraleKaart Pro
SoF013DusaUpgrade naar KadastraleKaart Pro
ByL vsISfL94OUpgrade naar KadastraleKaart Pro
eb4z2Whkfc8r2UpMXtU4 Upgrade naar KadastraleKaart Pro
30/05/2002

Percelen
Gebruik de zoekbalk of klik op een perceel om informatie over het perceel te bekijken.