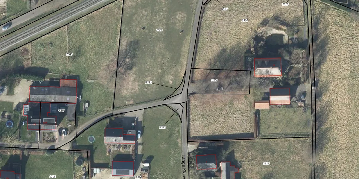
Perceel: DDM00-F-2321
KadastraleKaart.com kan meer dan je denktOntdek meer ›
Filter op bestemming 50+ datasets Eigendomsdata in één klik Percelen CRM
Geen adressen bij dit perceel
20 m2 - 45 m
Eigenaar opvragen
DDM00-F-2321 (Didam)
- Geen postcode aanwezig
cro oOtLJ t4taVREUpgrade naar KadastraleKaart Pro
Bekijk op Street View
Download DWG/DXF/Excel
jAX kFYl76fNETSo 1a0qcUpgrade naar KadastraleKaart Pro
ZrZe7f93tqVGf581VWj9Xl5Upgrade naar KadastraleKaart Pro
xBfS fSAGF3 nkLJ5J QV6Upgrade naar KadastraleKaart Pro
ITRXH7I1V5tGUpgrade naar KadastraleKaart Pro
xSPiXD40L0 KfiC6ibUpgrade naar KadastraleKaart Pro
of4kPPDUHOqXD7EMzWDMI9Upgrade naar KadastraleKaart Pro
k T B8eojm Io1dUpgrade naar KadastraleKaart Pro
8qCkgLk mgguxUpgrade naar KadastraleKaart Pro
x8rUVWkvM u SnjwWQUpgrade naar KadastraleKaart Pro
HC QH6zypcPq9Suo6yDUpgrade naar KadastraleKaart Pro
30/05/2002

Percelen
Gebruik de zoekbalk of klik op een perceel om informatie over het perceel te bekijken.