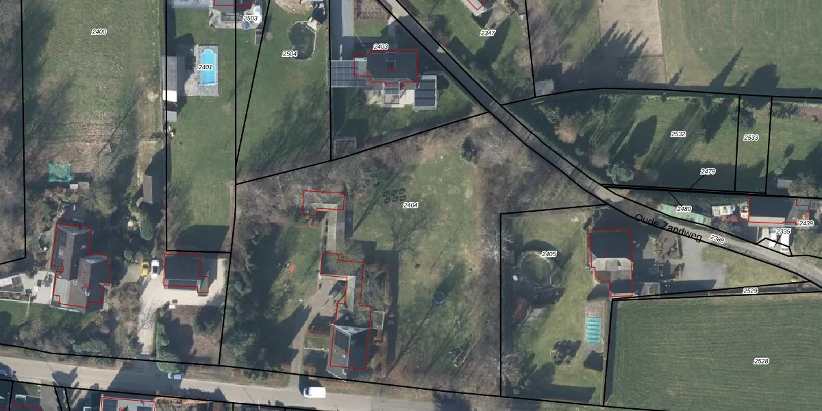
Perceel: DDM00-F-2404
KadastraleKaart.com kan meer dan je denktOntdek meer ›
Filter op bestemming 50+ datasets Eigendomsdata in één klik Percelen CRM
4.130 m2 - 285 m
Eigenaar opvragen
DDM00-F-2404 (Didam)
- 6942 JA
w aIU6CPzSdK MTpUpgrade naar KadastraleKaart Pro
Verkoopprijs opvragen
Bekijk op Street View
Download DWG/DXF/Excel
Br7NttEKoxv LUpgrade naar KadastraleKaart Pro
kr lwNe8FjK1wFDJZUpgrade naar KadastraleKaart Pro
GKPfCx0cZUpgrade naar KadastraleKaart Pro
A5r4DxFF0iU2NLDBvPlR CUpgrade naar KadastraleKaart Pro
mw k9tX5eSyTjjYQ1 Upgrade naar KadastraleKaart Pro
MsxjuDswcy0TBUpgrade naar KadastraleKaart Pro
lieL AAkIByUpgrade naar KadastraleKaart Pro
N1H7Lut9Giv6IFFzw0L wRUpgrade naar KadastraleKaart Pro
D 0OiAltLqUpgrade naar KadastraleKaart Pro
y9nYQ3Xg3TUpgrade naar KadastraleKaart Pro
30/05/2002

Percelen
Gebruik de zoekbalk of klik op een perceel om informatie over het perceel te bekijken.