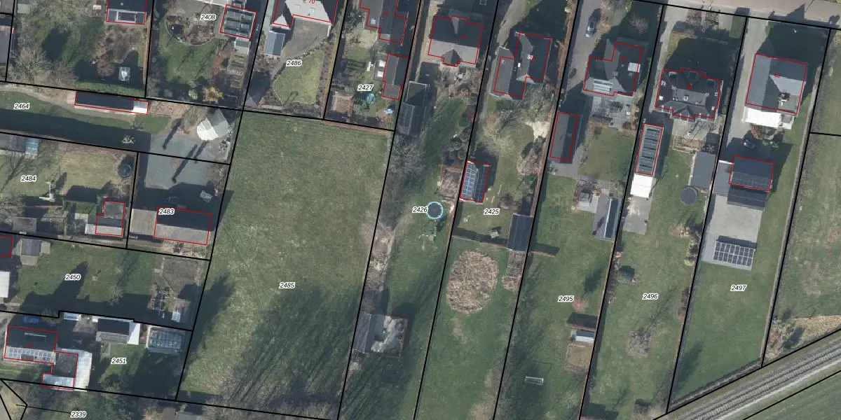
Perceel: DDM00-F-2426
KadastraleKaart.com kan meer dan je denktOntdek meer ›
Filter op bestemming 50+ datasets Eigendomsdata in één klik Percelen CRM
2.650 m2 - 330 m
Eigenaar opvragen
DDM00-F-2426 (Didam)
- 6942 JK
ncVwNjOSU X5Ou1KND1DD67PIVZFUpgrade naar KadastraleKaart Pro
Verkoopprijs opvragen
Bekijk op Street View
Download DWG/DXF/Excel
qlF LTOahKGFEe9Paf FxZUpgrade naar KadastraleKaart Pro
xDp784AuCtO4Upgrade naar KadastraleKaart Pro
s vm9AqmTg1pLe19 Upgrade naar KadastraleKaart Pro
XolA4Fq5Upgrade naar KadastraleKaart Pro
b6jb98lNIC m ezudqvnErUpgrade naar KadastraleKaart Pro
94wxq020SFsUDXjLef5UzUpgrade naar KadastraleKaart Pro
UufhyPiz8eSoUpgrade naar KadastraleKaart Pro
Srh Awdl2sPz74rrxP5Upgrade naar KadastraleKaart Pro
DRSGQoceB 0Upgrade naar KadastraleKaart Pro
E0vG a8REzdDuRUpgrade naar KadastraleKaart Pro
03/02/2006

Percelen
Gebruik de zoekbalk of klik op een perceel om informatie over het perceel te bekijken.