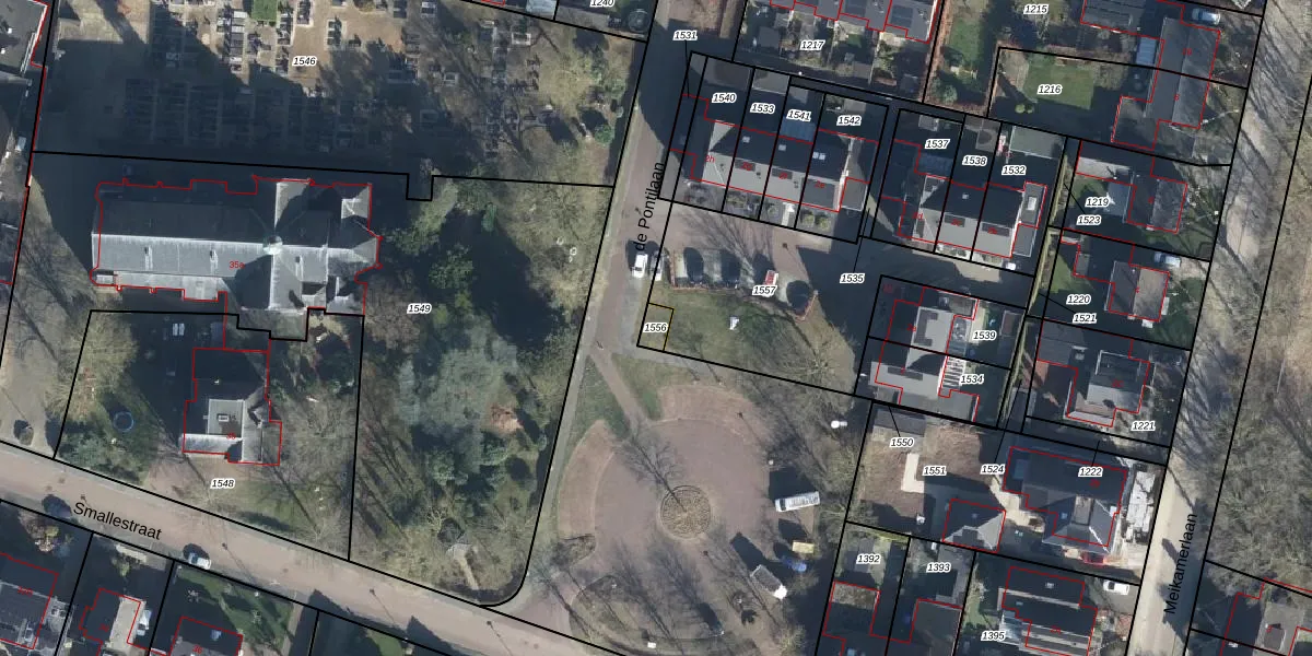
Perceel: DDM00-G-1556
KadastraleKaart.com kan meer dan je denktOntdek meer ›
Filter op bestemming 50+ datasets Eigendomsdata in één klik Percelen CRM
Geen adressen bij dit perceel
27 m2 - 21 m
Eigenaar opvragen
DDM00-G-1556 (Didam)
- Geen postcode aanwezig
ZabEZPTbw5 TXlhw8fwFP9xZAuUpgrade naar KadastraleKaart Pro
Bekijk op Street View
Download DWG/DXF/Excel
ggaae XAlPUpgrade naar KadastraleKaart Pro
J3CV3lsMbOFrnQlx3BFSDUpgrade naar KadastraleKaart Pro
xxciqw h1y7W G1Mf8IvUpgrade naar KadastraleKaart Pro
X6Hig78y56muoovNC2TseUpgrade naar KadastraleKaart Pro
6ILVIR xUpgrade naar KadastraleKaart Pro
6i s 9x9AUpgrade naar KadastraleKaart Pro
6Ks9Rc6krJHBSUpgrade naar KadastraleKaart Pro
PQTT83SvTT GUO0y UazL Upgrade naar KadastraleKaart Pro
T49Gr1E6gAdsoUpgrade naar KadastraleKaart Pro
DPr yrjfaUpgrade naar KadastraleKaart Pro
21/10/2025

Percelen
Gebruik de zoekbalk of klik op een perceel om informatie over het perceel te bekijken.