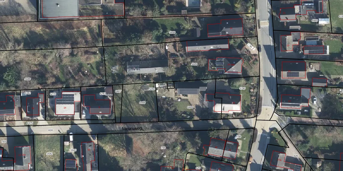
Perceel: DDM00-K-5260
KadastraleKaart.com kan meer dan je denktOntdek meer ›
Filter op bestemming 50+ datasets Eigendomsdata in één klik Percelen CRM
Geen adressen bij dit perceel
17 m2 - 16 m
Eigenaar opvragen
DDM00-K-5260 (Didam)
- Geen postcode aanwezig
xxQjiQiG3 slUaf6z 6YV8Upgrade naar KadastraleKaart Pro
Bekijk op Street View
Download DWG/DXF/Excel
9TA w1DIe ZeapYUpgrade naar KadastraleKaart Pro
go bhPP4Upgrade naar KadastraleKaart Pro
w3Cse9CO5Upgrade naar KadastraleKaart Pro
hkVCL nAPZfQyj Upgrade naar KadastraleKaart Pro
I1D0yZrsUpgrade naar KadastraleKaart Pro
J5Hy7x4F fPUpgrade naar KadastraleKaart Pro
E4scBAozNkwUpgrade naar KadastraleKaart Pro
GjN stxREKgUpgrade naar KadastraleKaart Pro
R gZu AN8dbUpgrade naar KadastraleKaart Pro
mH5Gedfo pUpgrade naar KadastraleKaart Pro
04/06/2002

Percelen
Gebruik de zoekbalk of klik op een perceel om informatie over het perceel te bekijken.