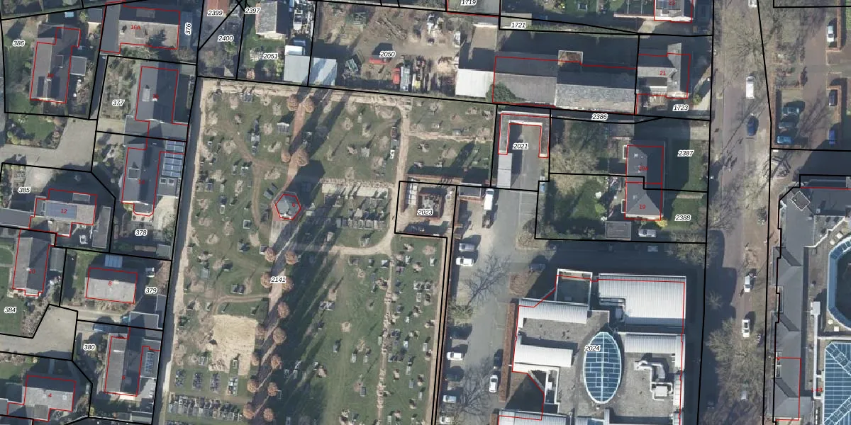
Perceel: DDM00-M-2023
KadastraleKaart.com kan meer dan je denktOntdek meer ›
Filter op bestemming 50+ datasets Eigendomsdata in één klik Percelen CRM
Geen adressen bij dit perceel
230 m2 - 192 m
Eigenaar opvragen
DDM00-M-2023 (Didam)
- Geen postcode aanwezig
mI5k7bMdas7eFRJ71Upgrade naar KadastraleKaart Pro
Bekijk op Street View
Download DWG/DXF/Excel
xJjk2tlQT jT rg uYUpgrade naar KadastraleKaart Pro
Y91 K3vUFRJOo0FUpgrade naar KadastraleKaart Pro
nAO6q7ZUawUsVw3PaZT97Upgrade naar KadastraleKaart Pro
7 a myAJCohUpgrade naar KadastraleKaart Pro
7ka81vME46H3vUpgrade naar KadastraleKaart Pro
SbIvl5tnN wUpgrade naar KadastraleKaart Pro
o cQIMkFZtM UNUpgrade naar KadastraleKaart Pro
s2hM9lIUSTq5f5pd2Upgrade naar KadastraleKaart Pro
ZLkZeeNiwQiLSVbPab 3acUpgrade naar KadastraleKaart Pro
6418uBkO 7Q 03KO 0LOUpgrade naar KadastraleKaart Pro
24/01/2007

Percelen
Gebruik de zoekbalk of klik op een perceel om informatie over het perceel te bekijken.