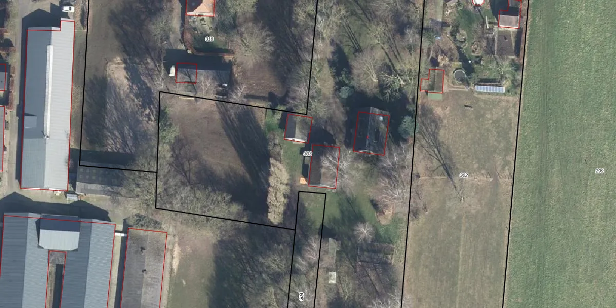
Perceel: DDM00-N-303
KadastraleKaart.com kan meer dan je denktOntdek meer ›
Filter op bestemming 50+ datasets Eigendomsdata in één klik Percelen CRM
6.420 m2 - 482 m
Eigenaar opvragen
DDM00-N-303 (Didam)
- 6942 GP
E2opBG8vverNnGRcUpgrade naar KadastraleKaart Pro
Bekijk op Street View
Download DWG/DXF/Excel
R0nq d 1HKzr UxQUfomQUpgrade naar KadastraleKaart Pro
p dl7npzUpgrade naar KadastraleKaart Pro
6D7BMvBVETIvf3aF1XyUpgrade naar KadastraleKaart Pro
lLa M3Xyz 3QY1jUUpgrade naar KadastraleKaart Pro
TuWtP1t768gfsh3C3shMUpgrade naar KadastraleKaart Pro
YJtZ AkBwTOX 1JUpgrade naar KadastraleKaart Pro
4l7zLppkNx efVkHUpgrade naar KadastraleKaart Pro
8sv e xFb8hb Dzv6Upgrade naar KadastraleKaart Pro
SEDyXqVHivnQ6PzQmNuUpgrade naar KadastraleKaart Pro
t3f38hnjkEoqCxtUpgrade naar KadastraleKaart Pro
12/11/2002

Percelen
Gebruik de zoekbalk of klik op een perceel om informatie over het perceel te bekijken.