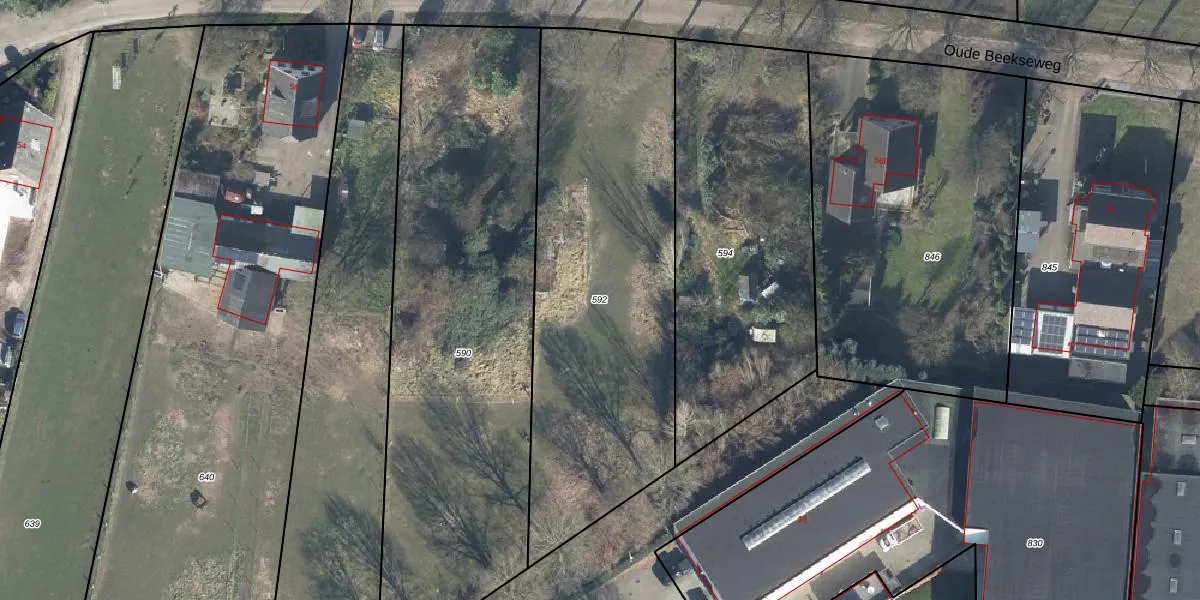
Perceel: DDM00-N-592
KadastraleKaart.com kan meer dan je denktOntdek meer ›
Filter op bestemming 50+ datasets Eigendomsdata in één klik Percelen CRM
Geen adressen bij dit perceel
1.905 m2 - 214 m
Eigenaar opvragen
DDM00-N-592 (Didam)
- Geen postcode aanwezig
is7CQcQVMXkkJ ToPQfuUpgrade naar KadastraleKaart Pro
Bekijk op Street View
Download DWG/DXF/Excel
N gp4pgA qUpgrade naar KadastraleKaart Pro
VaVjLp Um K7zdiw5HUpgrade naar KadastraleKaart Pro
6Q1aX5 myslUZTx Upgrade naar KadastraleKaart Pro
9leJ09 1J OSWUpgrade naar KadastraleKaart Pro
GhZtRuA0ZaGb2aI p82WX Upgrade naar KadastraleKaart Pro
gio2p HABttdhkrBTVzVjqUpgrade naar KadastraleKaart Pro
WFi VLCXS ekpJG fUpgrade naar KadastraleKaart Pro
WyY c6YPn9t0HYoRUunxobUpgrade naar KadastraleKaart Pro
j7ZURyD0iUpgrade naar KadastraleKaart Pro
gi1DH3oImznSqUpgrade naar KadastraleKaart Pro
17/09/2001

Percelen
Gebruik de zoekbalk of klik op een perceel om informatie over het perceel te bekijken.