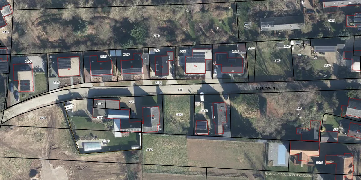
Perceel: DDM00-N-616
KadastraleKaart.com kan meer dan je denktOntdek meer ›
Filter op bestemming 50+ datasets Eigendomsdata in één klik Percelen CRM
Geen adressen bij dit perceel
1.456 m2 - 458 m
Eigenaar opvragen
DDM00-N-616 (Didam)
- Geen postcode aanwezig
y 9 jo3KBDR0Qh9m3xkL JEMrUpgrade naar KadastraleKaart Pro
Bekijk op Street View
Download DWG/DXF/Excel
t 9Z SFCRdcUpgrade naar KadastraleKaart Pro
AfIOFC7OdQUqiOPYhUpgrade naar KadastraleKaart Pro
v3pNr9a CUpgrade naar KadastraleKaart Pro
c1zbAYkdZ GLzKnPHvRS1lUpgrade naar KadastraleKaart Pro
eZuyQ81wy7w6AdrWnmB2jqUpgrade naar KadastraleKaart Pro
sXOoLHfpQ0vJ HZAUpgrade naar KadastraleKaart Pro
vX0Cc o LScb 3pVW6P0L0cUpgrade naar KadastraleKaart Pro
0 c2Zi wcKR7hm 2eXJuUpgrade naar KadastraleKaart Pro
CiF uJqLI8L4VvFIIGk0V6Upgrade naar KadastraleKaart Pro
UMsKws00yyXn4SlnX3bm6ZUpgrade naar KadastraleKaart Pro
06/01/2026

Percelen
Gebruik de zoekbalk of klik op een perceel om informatie over het perceel te bekijken.