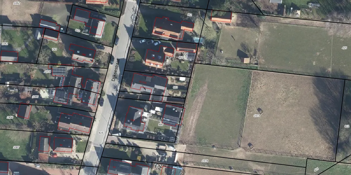
Perceel: DDM00-N-653
KadastraleKaart.com kan meer dan je denktOntdek meer ›
Filter op bestemming 50+ datasets Eigendomsdata in één klik Percelen CRM
460 m2 - 100 m
Eigenaar opvragen
DDM00-N-653 (Didam)
- 6942 GB
QfyIiXKvzO6fiTK7uIlrvOGUpgrade naar KadastraleKaart Pro
Bekijk op Street View
Download DWG/DXF/Excel
nNqg Sn8mlxlba4RIA6BUpgrade naar KadastraleKaart Pro
eAyRmn8FYC3xy7gavIwAkUpgrade naar KadastraleKaart Pro
J eBWG imUTB0 Upgrade naar KadastraleKaart Pro
PZ7A8ZLx4 6mNS3iGgR8WUpgrade naar KadastraleKaart Pro
N Qg3 kC2N3Upgrade naar KadastraleKaart Pro
zT3ci9suV7lQmVKlUpgrade naar KadastraleKaart Pro
F QYPc4O K21WK2sGWiTcrJUpgrade naar KadastraleKaart Pro
hkn4ZbS0KUpgrade naar KadastraleKaart Pro
FTvK1psWOUpgrade naar KadastraleKaart Pro
s TpAmDTUpgrade naar KadastraleKaart Pro
25/07/2000

Percelen
Gebruik de zoekbalk of klik op een perceel om informatie over het perceel te bekijken.