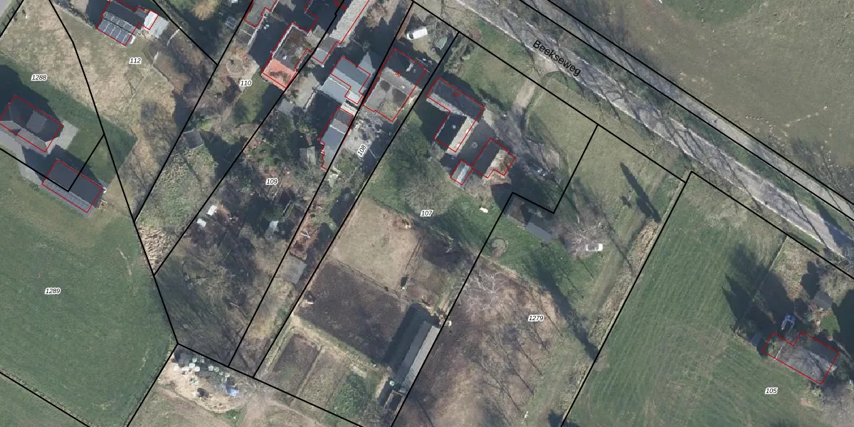
Perceel: DDM00-O-107
KadastraleKaart.com kan meer dan je denktOntdek meer ›
Filter op bestemming 50+ datasets Eigendomsdata in één klik Percelen CRM
3.170 m2 - 266 m
Eigenaar opvragen
DDM00-O-107 (Didam)
- 6942 NZ
sEoVmZLg3RUfUj 2XGyshFonvy cW CUpgrade naar KadastraleKaart Pro
Verkoopprijs opvragen
Bekijk op Street View
Download DWG/DXF/Excel
tq FDe599n w2yYUpgrade naar KadastraleKaart Pro
357AncE aLUpgrade naar KadastraleKaart Pro
GsJYAudtN cwUpgrade naar KadastraleKaart Pro
T9hyq5OkQsBTLOXsCdAJzUpgrade naar KadastraleKaart Pro
mvMewMh2vrA9YkbGfDZvAOYUpgrade naar KadastraleKaart Pro
CltYC2RquAEKUpgrade naar KadastraleKaart Pro
BxoTBJjF9nh470lvJHE8Upgrade naar KadastraleKaart Pro
V3J2C3G6ooAUpgrade naar KadastraleKaart Pro
va Gh8Kn2wLViyC4jTMLAF9Upgrade naar KadastraleKaart Pro
QwAwHEY8nIBGUpgrade naar KadastraleKaart Pro
08/12/2008

Percelen
Gebruik de zoekbalk of klik op een perceel om informatie over het perceel te bekijken.