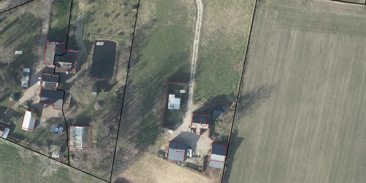
Perceel: DDM00-O-514
KadastraleKaart.com kan meer dan je denktOntdek meer ›
Filter op bestemming 50+ datasets Eigendomsdata in één klik Percelen CRM
7.635 m2 - 415 m
Eigenaar opvragen
DDM00-O-514 (Didam)
- 6942 PK
s0gJ1 L WkDURI0wS2ashOyi1DgUpgrade naar KadastraleKaart Pro
Verkoopprijs opvragen
Bekijk op Street View
Download DWG/DXF/Excel
yFxtH zMrA1LR rUpgrade naar KadastraleKaart Pro
p02FF xOva0RhoKElF JTUpgrade naar KadastraleKaart Pro
AqFtZAXhI AUUpgrade naar KadastraleKaart Pro
wG7DV8 Oh zTM B ySbUpgrade naar KadastraleKaart Pro
m2kRtq7 Upgrade naar KadastraleKaart Pro
S2LJ Dnn5genR6a0gHBAgUpgrade naar KadastraleKaart Pro
8Aa2UezmEUpgrade naar KadastraleKaart Pro
2H 2UbfSUpgrade naar KadastraleKaart Pro
R4mQzZaiIhbnXPvX4tbUpgrade naar KadastraleKaart Pro
pSauj DuEsUpgrade naar KadastraleKaart Pro
01/02/2010

Percelen
Gebruik de zoekbalk of klik op een perceel om informatie over het perceel te bekijken.