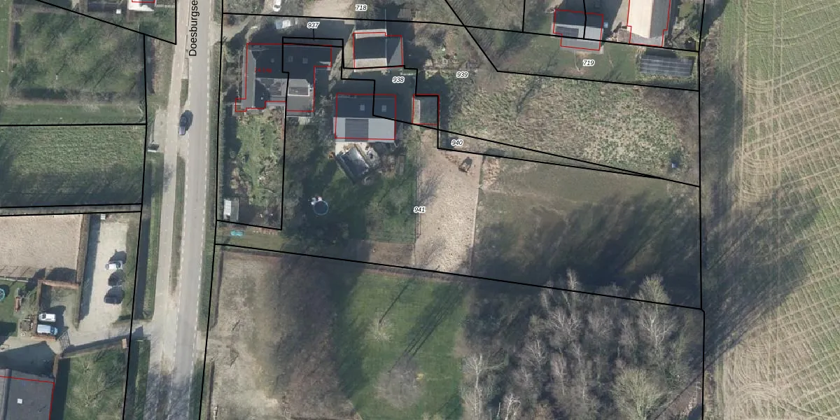
Perceel: DDM00-P-941
3.560 m2 - 335 m
Eigenaar opvragen
DDM00-P-941 (Didam)
- 6941 SJ
8F0nMXn9auMqrdgHo XOUpgrade naar KadastraleKaart Pro
Verkoopprijs opvragen
Bekijk op Street View
Download DWG/DXF/Excel
BZlbi3xaPxpNO6ydXUpgrade naar KadastraleKaart Pro
VE0bwr8j4bl7gUpgrade naar KadastraleKaart Pro
2 dUpZAsLo DM 6BUpgrade naar KadastraleKaart Pro
bPudcdzD L3JIVHg Upgrade naar KadastraleKaart Pro
1cxR9jddV0GMWkRVf6YthUpgrade naar KadastraleKaart Pro
8dz1bTz xO nqcwUpgrade naar KadastraleKaart Pro
1NU a YmRXdf ooXa azqUpgrade naar KadastraleKaart Pro
OpfGFiwQL9Upgrade naar KadastraleKaart Pro
aMQQHmbp7Vp Ydeirg6Upgrade naar KadastraleKaart Pro
37N0WCn6p8bpsDchUpgrade naar KadastraleKaart Pro
20/04/2015

Percelen
Gebruik de zoekbalk of klik op een perceel om informatie over het perceel te bekijken.