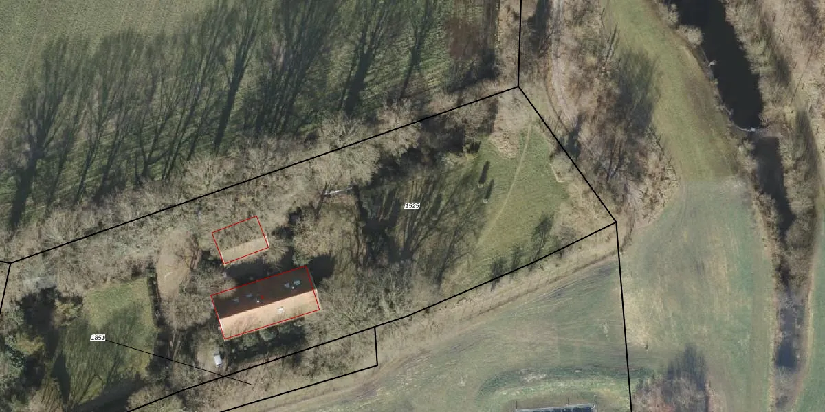
Perceel: DDN01-A-1525
KadastraleKaart.com kan meer dan je denktOntdek meer ›
Filter op bestemming 50+ datasets Eigendomsdata in één klik Percelen CRM
6.480 m2 - 394 m
Eigenaar opvragen
DDN01-A-1525 (Ambt-Delden)
- 7495 TG
ctTHd6Uu7 U36TqJ0Tr TjPuoKYj9IUpgrade naar KadastraleKaart Pro
Bekijk op Street View
Download DWG/DXF/Excel
6PMvfANNvUpgrade naar KadastraleKaart Pro
BNfJfC qB7qpaqQwPUpgrade naar KadastraleKaart Pro
E7wxbE P9mUpgrade naar KadastraleKaart Pro
pF1u MRl1C9v44NYYeuklbUpgrade naar KadastraleKaart Pro
GNGACZMEhUpgrade naar KadastraleKaart Pro
ieImwcFr345uMqtHse2TAUpgrade naar KadastraleKaart Pro
htoQsQ0RH doUUpgrade naar KadastraleKaart Pro
mnTTQydcLi1p1eAUpgrade naar KadastraleKaart Pro
jISNRrZPxXii0bxY1s Upgrade naar KadastraleKaart Pro
SQmhqM8nVq8KUit5Upgrade naar KadastraleKaart Pro
28/10/2002

Percelen
Gebruik de zoekbalk of klik op een perceel om informatie over het perceel te bekijken.