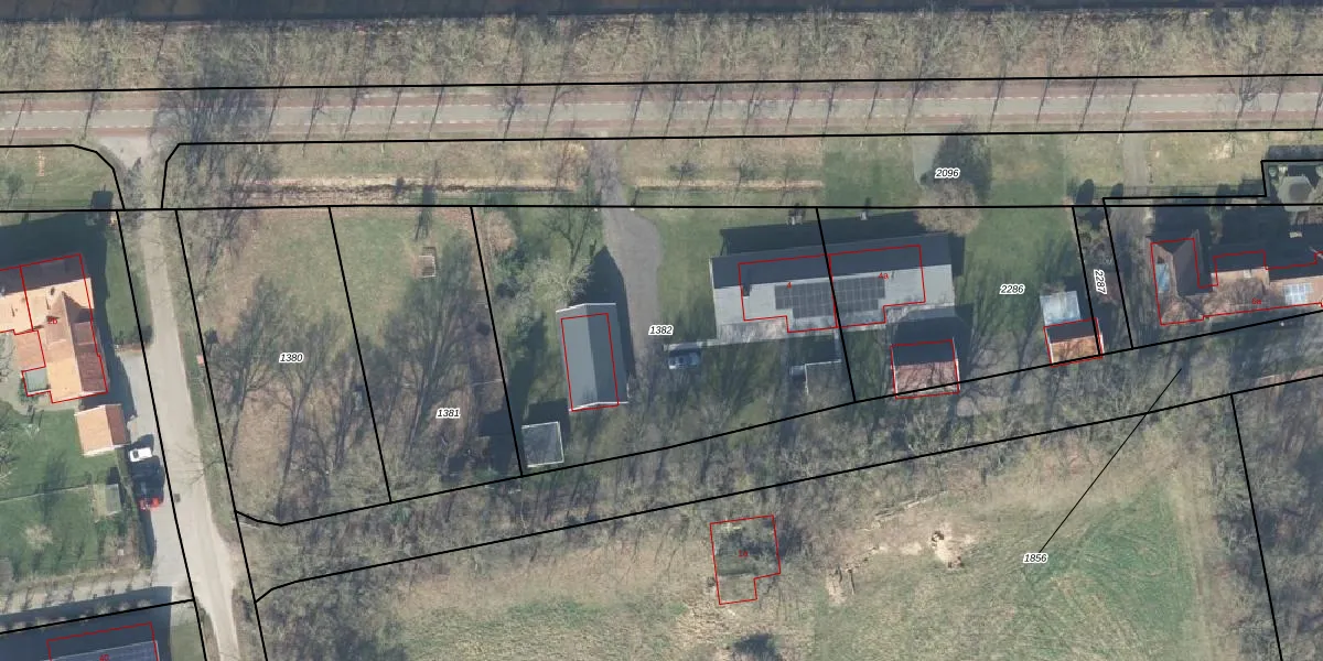
Perceel: DDN01-C-1382
KadastraleKaart.com kan meer dan je denktOntdek meer ›
Filter op bestemming 50+ datasets Eigendomsdata in één klik Percelen CRM
1.835 m2 - 176 m
Eigenaar opvragen
DDN01-C-1382 (Ambt-Delden)
- 7495 PP
A3enFlinhiNfvmI LUZwqPBoJu Upgrade naar KadastraleKaart Pro
Bekijk op Street View
Download DWG/DXF/Excel
yH6sm9l MrrXcUpgrade naar KadastraleKaart Pro
ua SXb7CuhdexUpgrade naar KadastraleKaart Pro
SoTDCPvP pLxgFV Mv0Upgrade naar KadastraleKaart Pro
okPQFG 10PdaDVCpuom cUpgrade naar KadastraleKaart Pro
LubyHidxRQfiszujUpgrade naar KadastraleKaart Pro
AEpnaISl5EyBv6SR4lUpgrade naar KadastraleKaart Pro
f ulFTi88wUpgrade naar KadastraleKaart Pro
CqFeX2 Lltf46FJZAbQ3pUpgrade naar KadastraleKaart Pro
Rq4FL0rSHh9KnXTEOuE5X cUpgrade naar KadastraleKaart Pro
tem5thpFkWQQUpgrade naar KadastraleKaart Pro
25/10/2010

Percelen
Gebruik de zoekbalk of klik op een perceel om informatie over het perceel te bekijken.