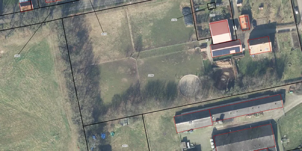
Perceel: DDN01-C-2266
KadastraleKaart.com kan meer dan je denktOntdek meer ›
Filter op bestemming 50+ datasets Eigendomsdata in één klik Percelen CRM
9.985 m2 - 571 m
Eigenaar opvragen
DDN01-C-2266 (Ambt-Delden)
- 7495 PX
xP0Mwko6ts CCJNATUD5Upgrade naar KadastraleKaart Pro
Verkoopprijs opvragen
Bekijk op Street View
Download DWG/DXF/Excel
z5M zutMFcUpgrade naar KadastraleKaart Pro
9jc 1ZeQRMxOPmIJ78tow0AUpgrade naar KadastraleKaart Pro
UkG4qwVHo6sL 14Mjd4cUpgrade naar KadastraleKaart Pro
Npl8B 5OsLP5c6Kd9Upgrade naar KadastraleKaart Pro
JMmmbLGiuNx 8Mg 8gdv0m9Upgrade naar KadastraleKaart Pro
YkUiVEQYtQzpKUpgrade naar KadastraleKaart Pro
uZb lOlzjUpgrade naar KadastraleKaart Pro
TlHBSD AXWtaWPrVgnH 1qUpgrade naar KadastraleKaart Pro
R34GbA2 nE718lOtKTheR OUpgrade naar KadastraleKaart Pro
IZqTDO pDYy4 8fj6AeneB2Upgrade naar KadastraleKaart Pro
19/12/2007

Percelen
Gebruik de zoekbalk of klik op een perceel om informatie over het perceel te bekijken.