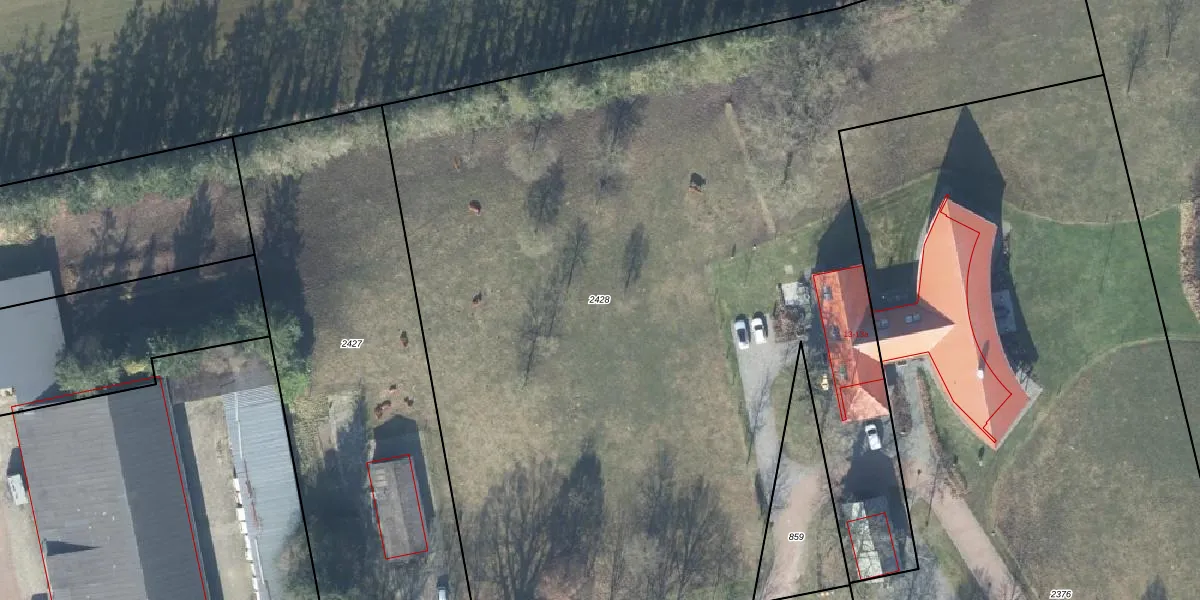
Perceel: DDN01-C-2428
7.590 m2 - 510 m
Eigenaar opvragen
DDN01-C-2428 (Ambt-Delden)
- 7495 PX
fVtmpv T7n9Bvsnc XiWXUpgrade naar KadastraleKaart Pro
Bekijk op Street View
Download DWG/DXF/Excel
WMPUl8r1 xSa l0qhPUpgrade naar KadastraleKaart Pro
QVgh1 k4Upgrade naar KadastraleKaart Pro
DZJ6eiMSs NZECYbBUpgrade naar KadastraleKaart Pro
riNaKU KH8Upgrade naar KadastraleKaart Pro
Q8OuYgh0hBiX 0smdVUQaFUpgrade naar KadastraleKaart Pro
hfJhOrs2WfxRpUpgrade naar KadastraleKaart Pro
XFsKblyw8Upgrade naar KadastraleKaart Pro
jILhHUb OzTWqUpgrade naar KadastraleKaart Pro
5S XJn ZEU Upgrade naar KadastraleKaart Pro
wH5wD26cKwgYJeFyevqRdc8Upgrade naar KadastraleKaart Pro
09/06/2020

Percelen
Gebruik de zoekbalk of klik op een perceel om informatie over het perceel te bekijken.