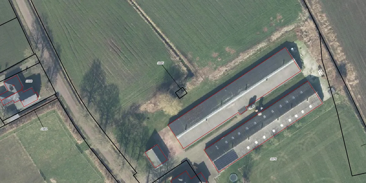
Perceel: DDN01-F-1845
KadastraleKaart.com kan meer dan je denktOntdek meer ›
Filter op bestemming 50+ datasets Eigendomsdata in één klik Percelen CRM
Geen adressen bij dit perceel
20 m2 - 18 m
Eigenaar opvragen
DDN01-F-1845 (Ambt-Delden)
- Geen postcode aanwezig
9 IJLpixK8yh YBO hQVk3Z8EsLzRz0Upgrade naar KadastraleKaart Pro
Bekijk op Street View
Download DWG/DXF/Excel
JJTXPc5u x67Upgrade naar KadastraleKaart Pro
HrfB2Gf2phzIspUpgrade naar KadastraleKaart Pro
kAs2YjqUGTUpgrade naar KadastraleKaart Pro
zVWLTS2hJUUpgrade naar KadastraleKaart Pro
vFQxs1GYsCiPIRnY3pBUpgrade naar KadastraleKaart Pro
gKczB8XZyD10nm vhfkfCB3Upgrade naar KadastraleKaart Pro
LnCnNakBr7Fh9Upgrade naar KadastraleKaart Pro
oLV8saAvbhZZ vmUpgrade naar KadastraleKaart Pro
zJFB3gWbUpgrade naar KadastraleKaart Pro
ZNYXwSCRmUpgrade naar KadastraleKaart Pro
03/02/2003

Percelen
Gebruik de zoekbalk of klik op een perceel om informatie over het perceel te bekijken.