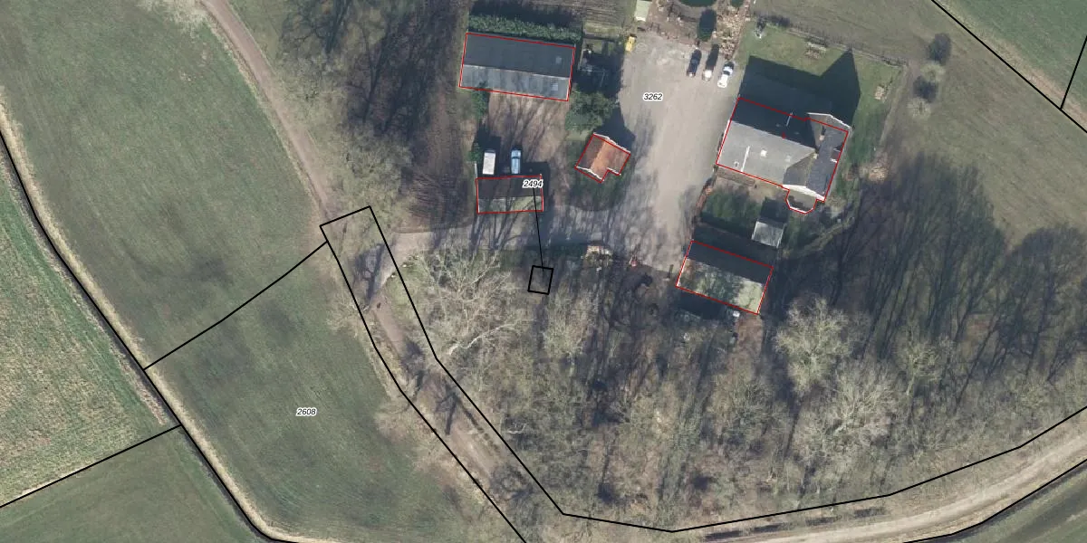
Perceel: DDN01-G-2494
KadastraleKaart.com kan meer dan je denktOntdek meer ›
Filter op bestemming 50+ datasets Eigendomsdata in één klik Percelen CRM
Geen adressen bij dit perceel
17 m2 - 17 m
Eigenaar opvragen
DDN01-G-2494 (Ambt-Delden)
- Geen postcode aanwezig
qm1Ym F0 8Bp jiUpgrade naar KadastraleKaart Pro
Bekijk op Street View
Download DWG/DXF/Excel
IoaVnZldXnNUpgrade naar KadastraleKaart Pro
q0eu9AsoZ828uaf6jN SCUpgrade naar KadastraleKaart Pro
01o29OEwCsA zUpgrade naar KadastraleKaart Pro
gbMRyO1f8sCh2y9ACUpgrade naar KadastraleKaart Pro
Td9Wf5fGYiJM7o93BQTlxUpgrade naar KadastraleKaart Pro
9lcUm7x5nq3cJuGHg9dGGUpgrade naar KadastraleKaart Pro
V0GsGcEqFIcUpgrade naar KadastraleKaart Pro
paDvC 1j2mrUpgrade naar KadastraleKaart Pro
L cxLbkXKDgJqHaXUpgrade naar KadastraleKaart Pro
qW kTdLd8zBaQAsIKYzdKxUpgrade naar KadastraleKaart Pro
05/04/2007

Percelen
Gebruik de zoekbalk of klik op een perceel om informatie over het perceel te bekijken.